Дисплазия тазобедренного сустава: симптомы, лечение, профилактика
Автор
Середа Илья Владимирович – кандидат ветеринарных наук, заведующий хирургическим отделением в/к «Спутник» sputnik.vet Председатель союза диагностики генетических болезней животных компаньонов.
В ветеринарной ортопедии особое место в классификации заболеваний органов движения занимает группа «патологий развития». Болезни этой группы объединяет важная особенность: они начинают развиваться в период роста и формирования скелета. В первую очередь это актуально для суставов конечностей. В определенный момент по совокупности причин происходит нарушение формирования и взаимодействия анатомических компонентов, образующих сустав.
Дисплазия тазобедренных суставов (ДТБС) — широко распространенное среди собак заболевание с высоким коэффициентом наследственности. Развитие болезни происходит именно в период активного роста скелета и в конечном итоге приводит к несоответствию формы головки бедренной кости и суставной (ацетабулярной) впадины.
Как известно, динамическая функция при движении животного возлагается преимущественно на тазовые конечности, так как вследствие смещения центра тяжести тела вперед грудные конечности выполняют преимущественно функцию переноса основной массы тела (58-79%). При этом вся сила, необходимая для поступательного движения вперед, передается через тазобедренный сустав, таз и позвоночный столб.
Тазобедренный сустав образован головкой бедренной кости и суставной впадиной таза. Благодаря своему строению, а именно шаровидной форме, он выдерживает нагрузку по различным направлениям. При этом некоторые участки бедренной кости испытывают действие сил до 6 раз превышающих массу тела. Для того, чтобы сустав был способен выдерживать подобные нагрузки, он должен быть, как минимум, здоровым. Любые отклонения от физиологической нормы приводят к перераспределению нагрузки на определенные части сустава, вызывая их износ и разрушение.
Что называют дисплазией тазобедренного сустава?
«Дисплазия» происходит от греческих слов (dys — что означает отклонение от нормы и plasia — развитие, формирование).
Dysplasia — нарушение развития. На сегодняшний день этот термин рассматривается как общее понятие, к которому относят практически все «патологии развития» тазобедренного сустава за исключением асептического некроза головки бедренной кости, выявляемого у мелких пород собак. По сути это анатомический дефект, который таит в себе потенциальную опасность нарушения нормальной функции тазовых конечностей. Изменение формы структур сустава обусловлено в том числе патологической подвижностью и неправильным распределением нагрузки на суставные поверхности, что в свою очередь провоцирует развитие остеоартрита. Именно остеоартрит, развивающийся на фоне болезни, определяет наличие клинических симптомов, развитие которых обусловлено хроническим воспалением и болью.
Основные причины заболевания
Дисплазия тазобедренного сустава — полигенное заболевание с высоким индексом наследственности, на развитие которого могут оказывать влияние факторы внешней среды. Это означает, что данная болезнь является полиэтиологичной.
Даже широкие возможности молекулярной генетики не позволяют тестировать собак на наличие «порочных» генов, отвечающих за развитие болезни. Почему? Потому что этих самых генов и их комбинаций существует великое множество, и они не поддаются систематизации и структурному анализу в аспекте данного заболевания.
Что кроме генетических факторов может повлиять на развитие дисплазии?
Темп роста щенка, масса тела, условия содержания, избыточное кормление, ранняя кастрация, полученные в процессе роста травмы, — это и есть факторы внешней среды. Степень распространенности дисплазии главным образом зависит от генетической передачи и наследуемости определенного типа строения тела, размеров, конституции, подвижности и темперамента.
Если ваш щенок крупной породы растет быстрее, чем его сверстники, имеет избыточную массу тела, играет на скользком полу и чрезмерно активен, вероятность развития дисплазии тазобедренных суставов существенно повышается, даже если его родители успешно прошли рентгенографическую поверку.
Известно, что данная патология часто встречается у тех пород собак, для которых характерна большая масса и могучее телосложение. Особенно подвержены дисплазии
В исследованиях по изучению частоты возникновения дисплазии по отношению к массе тела было установлено, что у гигантских пород собак частота возникновения дисплазии в 50, а у крупных — в 20 раз выше, чем у мелких пород. Однако общие габариты сами по себе не всегда являются определяющими в вероятности возникновения болезни. Среди собак одной весовой категории были отмечены породы с повышенным риском к развитию дисплазии. Так у золотистого ретривера частота встречаемости дисплазии в 50 раз выше, чем у колли.
Есть мнение, что у диких животных из семейства псовых (волчьих) не отмечались случаи дисплазии тазобедренного сустава, в то время как данная патология описана у собак всех пород. Этот интересный факт, по-видимому, обусловлен факторами естественного отбора, который не позволяет больным животным выживать в суровых условиях дикой природы.
Некоторые авторы считают строение скелета тазовых конечностей одной из причин развития дисплазии ТБС. Фенотипические особенности породы, тщательно отбираемые заводчиками, могут способствовать развитию болезни.
Клинические проявления заболевания
Условно можно выделить две фазы развития болезни:
- Первая — острая фаза. Чаще всего возникает у молодых животных, у которых еще не окончен рост скелета. В этой фазе основным звеном патогенеза является гипермобильность (избыточная подвижность) сустава. Во время фазы опоры головка может смещаться за пределы впадины, а во время фазы переноса возвращается в нормальное положение. Такое состояние называют подвывихом. Острой она называется в связи с наличием признаков существенной болезненности из-за перерастяжения капсулы сустава, развития острого синовита и в некоторых случаях даже наличия микропереломов дорсального края ацетабулярной впадины. Владельцы отмечают быструю утомляемость молодых собак на прогулке, возникающую несмотря на эмоциональную готовность совершать активные действия.

Другими словами, собака очень хочет бегать и прыгать, но не может. Часто при движении предпочитает отталкиваться сразу двумя тазовыми конечностями. Особенно это становится очевидным при движении вверх по лестнице. - Вторая фаза — хроническая. Обусловлена дегенеративными изменениями компонентов сустава и напрямую связана с развитием остеоартрита. Животное постепенно адаптируется к постоянному дискомфорту и хронической боли. Острота клинических проявлений снижается. Некоторые владельцы ошибочно принимают переход от острой фазы к хронической за выздоровление и эффективность проводимого лечения.
В большинстве случаев дисплазия затрагивает оба тазобедренных сустава — это важная особенность заболевания. Известно, что одним из ведущих симптомов в ортопедии является хромота. Если собака хромает, проблема становится очевидной и требует решения. Но что, если одинаково болят оба сустава? Животные не хромают, адаптируясь к дискомфорту и хронической боли, меняют образ жизни. Изменяется походка, уровень активности, снижается толерантность к физическим нагрузкам.
Диагностика дисплазии ТБС
При клиническом осмотре молодых собак (рис1. Клинический осмотр пациента с дисплазией тазобедренных суставов) одним из наиболее значимых ортопедических тестов является оценка гипермобильности или избыточной подвижности сустава — симптом Ортолани. Суть его сводится к возможности смещения головки бедренной кости из впадины при приведении конечности к срединной линии тела, когда собака лежит на спине. Если экзаменатору удается это сделать, следующий этап — отведение бедра от срединной линии, что должно привести к самопроизвольному вправлению головки. При воспроизведении данного симптома можно измерить угол между срединной линией и бедром, при котором происходит подвывих, — угол сублюксации, а также измерить угол, при котором происходит вправление, — 
У взрослых собак с дисплазией клинический осмотр направлен на определение объема движений в суставе, а также на выявление признаков болезненности при экстензии (разгибании) и абдукции (отведении) конечности в тазобедренном суставе.
Ведущая роль в диагностике дисплазии тазобедренных суставов, несмотря на существенное развитие таких методов как компьютерная и магнитно-резонансная томография, до сих пор принадлежит
Диагностика у молодых собак (4-9 месяцев) подразумевает выполнение снимков в 4 проекциях, в то время как у взрослых собак достаточно 1 проекции.
Важным и обязательным условием рентгенографического обследования является общая анестезия и миорелаксация. Это требование актуально по нескольким причинам:
- Исключить боль, дискомфорт и стресс у пациента.
- Миорелаксация нужна для определения истинной патологической подвижности.
- Правильная укладка — важный и необходимый аспект успешной диагностики.
Обследование без анестезии не позволяет получить полную и адекватную информацию о состоянии суставов и является болезненной процедурой. Успешная же и качественная диагностика — фундамент успешного лечения.
Основные варианты лечения дисплазии ТБС
Напомним, что эта болезнь развивается в процессе роста и формирования скелета. Логичный вопрос, — как и когда остановить развитие дисплазии? На сегодняшний день не существует успешных методов консервативного (нехирургического) лечения, которые позволили бы остановить болезнь. К сожалению, это факт. Давайте кратко рассмотрим основные операции, которые признаны эффективными.
- Ювенильный симфизиодез. Возраст, когда можно провести операцию — 16-20 недель. Суть процедуры сводится к блокировке зон роста лонного симфиза, что влияет на геометрию таза и позволяет по мере его роста и развития увеличить площадь покрытия головки бедренной кости, сделав сустав стабильным. Таким образом мы можем повлиять на основную причину развития дисплазии — гипермобильность сустава.
- Если мы упустили возможность проведения симфизиодеза, хирургия становится более сложной. В возрасте 5-8 месяцев мы можем повлиять на гипермобильность (подвывих сустава) только посредством двойной остеотомии таза. Увеличить площадь покрытия головки и добиться её стабильности возможно и другим способом — распилом подвздошной и лонной кости и поворотом сегмента таза с последующим наложением пластины на подвздошную кость. Несмотря на кажущуюся высокую травматичность этого метода, владение техникой и правильный подбор пациента позволяют в большинстве случаев сделать сустав (или оба сустава) здоровыми на всю жизнь.

- Вершина хирургического лечения патологий тазобедренного сустава — эндопротезирование или, другими словами, полная замена сустава (рис.3 Рентгенограмма таза собаки через 3 месяца после эндопротезирования тазобедренного сустава). Показанием к проведению такой относительно сложной и дорогостоящей операции является наличие остеоартрита — вторичных дегенеративных изменений, которые, как говорилось выше, необратимы. Операция позволяет в полном объеме обеспечить 100% функцию конечности, избавив пациента от боли на всю жизнь. Операцию проводят начиная с 8-ми месячного возраста. На сегодняшний день накоплен достаточный опыт, и довольно часто процедура проводится с имплантатами швейцарской фирмы Kyon.
- Последний вариант хирургического лечения — резекция головки бедренной кости. Это процедура «отчаяния», когда по каким-либо причинам эндопротезирование недоступно.
Конечно, помимо хирургических вариантов, существует несколько других «опций» консервативной терапии, основным недостатком которых является временное улучшение состояния и невозможность добиться полного выздоровления.
К ним относится медикаментозная терапия (препараты выбора — нестероидные противовоспалительные средства), контроль веса, биологические добавки (омега 3, 6 жирные кислоты и хондропротекторы) и физиотерапия.
Для профилактики заболевания рекомендуется использовать специализированные корма с повышенным содержанием омега-3 жирных кислот и высоким уровнем антиоксидантов, например, корм PRO PLAN® JM JOINT MOBILITY, разработанный специально для собак со сниженной подвижностью суставов. Также рацион профилактирует набор избыточной массы тела, что также является важным фактором для профилактики дисплазии суставов.
В заключении хотелось бы акцентировать внимание на самом важном. Качественная диагностика позволяет с высокой точностью определить наличие дисплазии тазобедренных суставов и не допустить распространение болезни в популяции собак. Владельцам крупных и гигантских пород собак стоит помнить, что своевременное профилактическое обследование в возрасте 16-20 недель, выходящее за рамки скринингового обследования, выполняемого в возрасте 1 год и старше, позволяет выявить признаки болезни на ранней стадии, когда лечение наиболее эффективно.
Список литературы:
- LaFond E, Breur GJ, Austin CC. Breed susceptibility for developmental ortopedie diseases in dogs. J Am Anim Hosp Assoc. 2002 Sep-Oct; 38(5):467–77.
- Demko J, McLaughlin R. Developmental orthopedic disease.Vet Clin North Am Small Anim Pract.2005 Sep; 35(5):l I I 1–35, v. Review.
- Morgan JP.Wind A, Davidson AP Hereditary bone and joint disease in the dog: osteochondroses, hip dysplasia, elbow dysplasia. Hannover: Schultersche GmbH & Co., 2000: pp 109–202.
- Slocum B, SlocumTM Hip — DiagnosticTests — Radiographic characteristics of hip dysplasia. In: Current techniques in small animai surgery. Bojrab MJ, Ellison GW, Slocum B. Ed Williams & Wilkins, Baltimore, 1998; pp I 127–1 150.
- Vezzoni A, Dravelli G, Vezzoni L, et al. Comparison of conservative management and juvenile pubic symphysiodesis in the early treatment of canine hip dysplasia. Vet Comp Orthop Traumatol 2008; 21: 267–279.
- Haudiquet PH, Guillon JF.
Radiographic evaluation of double pelvic osteotomy versus triple pelvic os- teotomy in the dog: an in vitro experimental study. Proceedings of 13th ESVOT Congress; 2006 Sep- tember 7–10; Munich, Germany. pgs. 239-240.
Дисплазия тбс у собак диагностика и лечение в ветцентре Воронцова
Дисплазия суставов у собак — это аномальное, неправильное развитие сустава. У собак встречаются дисплазия локтевого сустава и тазобедренного сустава. Заболевание это полигенное и наследуемое.
Понятие дисплазия тазобедренного сустава включает в себя неправильное развитие вертлужной впадины и головки бедренной кости, что приводит к изменению суставной анатомии. Впервые эта болезнь была описана Dr. Gerry B. Schnelle в 1937 году.
Схема развития коксартроза на фоне дисплазии ТБС
Нарушение нормальной анатомии и биомеханики приводит к нестабильности, артриту и выраженным болезненным ощущениям.
Избыточный вес, нарушения фосфорно-кальциевого обмена и избыточные нагрузки в период роста могут способствовать неправильному развитию сустава.
Дисплазия у собак это частая причина хромоты на тазовые конечности у собак.
Одним из осложнений болезни является коксартроз у собак.
Породная предрасположенность к ДТБС у собак
Дисплазии тазобедренных суставов у собак проявляются у крупных пород:
- ротвейлер,
- ньюфаундленд,
- бернский зенненхунд,
- кане корсо,
- немецкая овчарка,
- лабрадор и др.
Заболевание бывает также у средних и мелких пород тоже.
Дисплазия тазобедренных суставов у собак симптомы
Заболевание проявляется в возрасте от 4 до 8 месяцев и характеризуется хромотой. Хромота зависит от степени дисплазии и развитии вторичных дегенеративных изменений.
- На начальном этапе с легкой степенью дисплазии ТБС у собаки отмечается «вихляющая» походка тазовой части, при беге задние лапы в движении напоминают походку прыгающего кролика.
- При развитии вторичного коксартроза появляется выраженная хромота, которая может усиливаться после нагрузок.

- С тяжелой степенью повреждения тазобедренных суставов животное встает с большим трудом и требует отдыха, даже после незначительных нагрузок.
Степени дисплазии у собак
А — нет признаков дисплазии;
В — состояние суставов почти в норме;
С — легкая степень дисплазии;
D — среднее проявление дисплазии в допустимых пределах;
Е — тяжелая дисплазия.
Диагностика дисплазии
Диагностика включает в себя клиническую оценку, пальпацию и рентгенологическое исследование. Для корректного проведения исследований желательно использование седации у животного. При пальпации отмечается гипотрофия мышц таза, а при отведении конечности назад выраженная болезненность.
Укладка пациента при проведении рентгенографии на дисплазию ТБС
Рентгенография является основным методом диагностики дисплазии тазобедренных суставов.
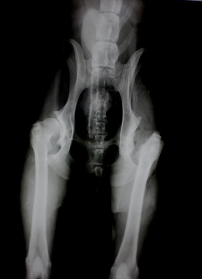
При проведении рентгенологического исследования животное располагается на спине с вытянутыми тазовыми конечностями. На рентгенограмме в зависимости от степени дисплазии (А, B, C, D, E) определяются различные рентгенологические признаки. Впервые рентгенологическая оценка ДТБС была дана в 1966 году Ортопедическим фондом животных образованным John Olin.
Рентген ТБС собаки. Норма
Рентген ТБС собаки. Двусторонняя дисплазия, артроз
Тесты на дисплазию у собак
Что такое тест на дисплазию у собак? Тесты предназначены для ранней диагностики заболевания. Основные тесты на дисплазию тбс — это тест дистракции PennHip и тест Ортолани.
Тест дистракции PennHip проводится щенкам с четырех месяцев для определения возможности развития дисплазии тазобедренного сустава. Если индекс дистракции будет более 0,25%, то вероятность развития болезни будет возрастать.
Тест дистракции. Норма
Тест дистракции при предрасположенности к дисплазии ТБС
Тест Ортолани проводят в 10-12 месяцев.
Ортолани тест для собак определяет нестабильность и подвывих тазобедренного сустава.
Дисплазия тазобедренных суставов у собак лечение
Лечение дисплазии у собак зависит от степени хромоты. Существуют консервативные методы лечения и хирургические.
Консервативная терапия
Метод включает в себя использование лекарственных препаратов, диеты и лечебной физкультуры (физиотерапия).
Препараты от дисплазии для собак направлены на снятие боли и воспаления (НПВС, глюкокортикостероиды, миорелаксанты), а также как хондропротективная терапия.
Особое внимание необходимо уделять лечебной физкультуре, которая позволяет адаптироваться патологическим суставам к функциональной нагрузке. Очень часто бывает достаточно одной лечебной физкультуры для коррекции последствий дисплазии тазобедренных суставов.
Хирургическое лечение дисплазии
Оперативное лечение дисплазии ТБС зависит от её степени и возраста собаки. Наиболее популярны следующие методы хирургического лечения у собак:
- Ювенильный симфизиодез (JPS) выполняется в 4-5 месяцев, при отсутствии выраженного подвывиха. Суть данного оперативного вмешательства сводится к хирургической блокировке симфиза лонной кости. После проведения операции рост таза меняет свое направление и изменяются углы наклона вертлужной впадины.
- Тройная остеотомия таза (ТРО) операцию делают если нет артроза и возраст животного от 7 до 12 месяцев. Суть данного оперативного вмешательства заключается в изменении угла наклона вертлужной впадины за счет пересечения костей таза.
- Резекционная артроспластика выполняется животным, у которых отмечается выраженный коксартроз и подвывих сустава. Суть данного оперативного вмешательства заключается в удалении головки бедренной кости.
Основная цель: исключить синдром соударения и трения в зоне головки бедренной кости и вертлужной впадины на фоне артроза.
На месте головки образуется фиброзная или фибро-хрящевая ткань, а функция конечности сохраняется за счет мышечного аппарата.
Не рекомендуется проводить у собак с массой тела более 30 кг. - Эндопротезирование тазобедренного сустава выполняется у собак со стойкой болезненностью тазобедренного сустава. Выполняется оперативное вмешательство у собак с массой тела от 3 до 80 кг в возрасте после 10 месяцев.
Тотальное эндопротезирование — это полная замена сустава эндопротезом. На сегодня считается самым физиологичным способом восстановления функции тазобедренного сустава. - Пектинмитомия и ацетабулярная пластика были популярны в 1970 годы. На сегодняшний день практически не используются.
Владельцу собаки
Необходимо помнить, что дисплазия тазобедренных суставов у собак – это проблема, которая требует своевременной диагностики и скорейшего выбора оптимального метода лечения. Упустив возможность ранней коррекции патологии, владелец в дальнейшем сталкивается с серьезными последствиями прогрессирования коксартроза.
Основными последствиями коксартроза будут боли в суставах и нарушение их функции.
Ветцентр доктора Воронцова специализируется на лечении заболеваний опорно-двигательного аппарата у собак. Проводится много успешных операций по лечению суставов. Если у вашего питомца боль в лапах — позвоните нам и пройдите обследование у наших ветеринарных врачей. Болезнь можно предотвратить или вылечить за короткий срок в случае своевременного обращения.
Мы находимся в ЮАО, недалеко от пересечения МКАД и Каширского шоссе — Совхоз им. Ленина, дом 3а. Карта проезда. Метро Домодедовская, Орехово, Зябликово.
По любым вопросам можно проконсультироваться по телефонам:
+7(495) 740-48-59
+7(936) 001-03-04.
Как определить дисплазию тазобедренного сустава у собак
Если вы владелец собаки, вы, возможно, уже знаете, насколько распространена дисплазия тазобедренного сустава у собак. Некоторые породы более склонны к его развитию, чем другие, но любая собака потенциально может иметь дисплазию тазобедренного сустава, включая смешанные породы.
В этой статье мы расскажем о некоторых наиболее распространенных симптомах дисплазии тазобедренного сустава, чтобы вы могли больше узнать о том, как их идентифицировать. Обладая этой информацией, вы сможете решить, нужно ли вам поговорить с ветеринаром о возможной дисплазии тазобедренного сустава у вашей собаки. Если у вас есть какие-либо вопросы, позвоните в LIVS по номеру (516) 501-1700 .
Что такое дисплазия тазобедренного сустава?Дисплазия тазобедренного сустава является одним из наиболее распространенных ортопедических заболеваний у собак. Хотя это состояние чаще всего поражает крупные и гигантские породы, могут быть затронуты собаки любого размера и даже кошки.
Дисплазия тазобедренного сустава — это аномальный рост и развитие тазобедренного сустава. Тазобедренный сустав представляет собой шарнирное соединение. Шарик – это головка бедренной кости. Гнездо является частью тазовой кости, вертлужной впадины. В норме головка бедренной кости очень плотно прилегает к вертлужной впадине.
При дисплазии тазобедренного сустава сустав не плотно прилегает друг к другу, вызывая нестабильность. В результате сустав будет частично подвывихнутым или входить и выходить из лунки. Это может привести к повреждению хряща и тяжелому артриту у собак уже в возрасте одного года.
Летаргия
Летаргия является распространенным симптомом, связанным с дисплазией тазобедренного сустава. Поскольку собакам обычно больно вставать и двигаться, когда у них есть это состояние, они становятся вялыми и менее заинтересованными в том, чтобы вставать, чтобы делать что-то большее, чем они должны.
Однако имейте в виду, что вялость также является симптомом многих других состояний, которые могут повлиять на вашу собаку. Если это единственный симптом, который вы заметили, вам следует обратиться к семейному ветеринару, чтобы определить основную причину и не обязательно предполагать, что это дисплазия тазобедренного сустава.
Проблемы с передвижением
Если вашей собаке трудно передвигаться, это может быть еще одним признаком того, что у нее дисплазия тазобедренного сустава. Собаки с этим заболеванием могут с трудом вставать с постели, особенно им трудно бегать, прыгать или подниматься по лестнице.
Затрудненное движение или ограниченный диапазон движений также являются симптомом артрита, а также могут быть связаны с болезнью Лайма и другими серьезными заболеваниями. Если вы заметили этот симптом у своей собаки, поговорите со своим ветеринаром, так как вам может потребоваться более тщательное обследование, прежде чем можно будет поставить диагноз.
Хромота на задние конечности
Хромота на задние конечности является довольно надежным показателем того, что у вашей собаки может быть дисплазия тазобедренного сустава. Это состояние приведет к тому, что задняя часть тела вашей собаки станет намного труднее двигаться, и иногда она может замерзнуть или стать невозможным для нее контролировать.
Хромота на задний конец может не проявляться до поздних стадий дисплазии тазобедренного сустава. Скорее всего, если у вашей собаки проявляется этот симптом, то некоторое время у нее также проявлялись более ранние признаки начальных стадий заболевания. Задняя хромота не связана со многими другими заболеваниями, но все же должна быть осмотрена ветеринаром, чтобы быть уверенным.
Потеря мышц бедра
По мере прогрессирования состояния дисплазии тазобедренного сустава собаки почти не используют мышцы бедра, особенно когда дело доходит до бега и прыжков. Это, в свою очередь, приведет к атрофии мышц бедер. Потеря мышц в конечном итоге станет заметной визуально, особенно если проблемы с бедрами не лечить.
Это еще один симптом, который обычно не связан со многими другими состояниями. Если вы заметили этот симптом у своей собаки, вы, вероятно, уже видели некоторые из перечисленных здесь симптомов до того, как у нее наступила мышечная атрофия.
Необычная походка
Необычная или странная походка может означать, что у вашей собаки дисплазия тазобедренного сустава.
Некоторые люди называют походку при дисплазии тазобедренного сустава «кроличьим прыжком», поскольку она похожа на то, как двигается кролик при ходьбе. Это очень странная походка для собаки. Поскольку это довольно заметно, это обязательно будет выделяться как симптом, если ваша собака проявит его.
Необычная походка может также быть связана с рядом других проблем и должна быть проверена вашим ветеринаром. Однако, если ваша собака демонстрирует необычную походку вместе с любыми другими симптомами из этого списка, то вероятность того, что у нее может быть дисплазия тазобедренного сустава, выше.
Скованность и боль
Наконец, у вашей собаки может быть скованность и боль, если у нее дисплазия тазобедренного сустава. Даже если он в состоянии передвигаться, он может быть скован при этом, и ему может потребоваться некоторое время, чтобы расслабиться, когда он встает с постели утром.
Ваша собака может также начать защищать свои бедра и ноги по мере усиления боли.
Если он сопротивляется или не позволяет вам погладить его зад или прикоснуться к его ногам, или если он проявляет признаки страха или агрессии, когда вы пытаетесь это сделать, вероятной причиной является дисплазия тазобедренного сустава.
Диагностика дисплазии тазобедренного сустава
Основной целью диагностики дисплазии тазобедренного сустава является выявление слабости тазобедренного сустава и оценка степени дегенеративного заболевания суставов. Пальпация, или осторожное манипулирование бедром, является чрезвычайно важным инструментом. Рентгенограммы (рентгеновские снимки) также очень полезны при попытке определить прогрессирование дисплазии тазобедренного сустава.
Собаки с дисплазией тазобедренного сустава могут лечиться с помощью лекарств, пищевых добавок или альтернативных методов лечения. Эти варианты лечения обычно известны как консервативное лечение и могут быть лучшим вариантом для пожилых собак или собак, которые не являются хорошими кандидатами на операцию.
Таким пациентам также может быть полезна физическая реабилитация, помогающая облегчить боль и другие симптомы, а также улучшить подвижность.
Если вы обеспокоены тем, что у вашей собаки могут проявляться ранние признаки дисплазии тазобедренного сустава, как можно скорее обратитесь к своему основному ветеринарному врачу. Они захотят назначить обследование вашей собаки, и, если признаки присутствуют, они могут направить вас в LIVS для консультации с нашей хирургической бригадой. Если у вас есть вопросы, позвоните нам по телефону (516) 501-1700 .
Дисплазия тазобедренного сустава у собак — Американский клуб собаководства
Дисплазия тазобедренного сустава — два слова, которые пугают владельцев собак крупных и гигантских пород, но правда в том, что дисплазия тазобедренного сустава у собак может случиться с собаками любого размера и породы. Это болезненное состояние может резко снизить качество жизни собаки, и владельцам трудно наблюдать за ним. Хорошей новостью является то, что ответственное владение собакой и информирование себя о потенциальных состояниях здоровья, таких как дисплазия тазобедренного сустава, могут иметь большое значение для обеспечения комфорта вашей собаки.
Узнайте, что все владельцы должны знать о дисплазии тазобедренного сустава у собак, в том числе о симптомах, вариантах лечения и профилактических мерах, которые вы можете предпринять, чтобы ваша собака была здорова, счастлива и активна.
Что такое дисплазия тазобедренного сустава у собак?
Дисплазия тазобедренного сустава является распространенным заболеванием скелета, часто наблюдаемым у собак крупных или гигантских пород, хотя может встречаться и у мелких пород. Чтобы понять, как работает это состояние, владельцы должны сначала понять основную анатомию тазобедренного сустава.
Тазобедренный сустав функционирует как шар и гнездо. У собак с дисплазией тазобедренного сустава шар и гнездо не подходят или развиваются должным образом, и они трутся и перетираются вместо того, чтобы плавно скользить. Это приводит к ухудшению состояния с течением времени и возможной потере функции самого сустава.
Что вызывает дисплазию тазобедренного сустава у собак?
Несколько факторов приводят к развитию дисплазии тазобедренного сустава у собак, начиная с генетики.
Дисплазия тазобедренного сустава является наследственной и особенно часто встречается у крупных собак, таких как немецкий дог, сенбернар, лабрадор-ретривер и немецкая овчарка. Такие факторы, как чрезмерная скорость роста, виды физических упражнений, неправильный вес и несбалансированное питание, могут усилить эту генетическую предрасположенность.
Некоторые щенки имеют особые потребности в питании и нуждаются в корме, специально разработанном для щенков крупных пород. Эти продукты помогают предотвратить чрезмерный рост, который может привести к нарушениям скелета, таким как дисплазия тазобедренного сустава, дисплазия локтевого сустава и другие заболевания суставов. Замедление роста этих пород позволяет их суставам развиваться без чрезмерной нагрузки, помогая предотвратить проблемы в будущем.
Неправильное питание также может повлиять на вероятность развития у собаки дисплазии тазобедренного сустава, равно как и слишком много или слишком мало физических упражнений.
Ожирение создает большую нагрузку на суставы вашей собаки, что может усугубить ранее существовавшее состояние, такое как дисплазия тазобедренного сустава, или даже вызвать дисплазию тазобедренного сустава. Поговорите со своим ветеринаром о наилучшей диете для вашей собаки и соответствующем количестве упражнений, необходимых вашей собаке каждый день, чтобы поддерживать ее в хорошем физическом состоянии.
Глюкозамин для собак с заболеваниями суставов
Корма для собак крупных пород часто содержат добавки для суставов, такие как глюкозамин. Если ваш ветеринар диагностирует у вашей собаки артрит, глюкозамин, скорее всего, будет частью комплексного плана лечения. Скорее всего, они порекомендуют жевательную добавку с ветеринарной дозой глюкозамина и хондроитина.
Вы также можете приобрести добавки с этими ингредиентами для собак, которые в будущем могут быть склонны к развитию артрита и дисплазии тазобедренного сустава. Добавки для суставов часто используются в качестве раннего вмешательства и на протяжении всего прогрессирования артрита, поскольку они безопасны для длительного использования у большинства пациентов.
Хотя исследования все еще ограничены, эти добавки могут помочь уменьшить симптомы дисплазии тазобедренного сустава.
Симптомы дисплазии тазобедренного сустава у собак
У некоторых собак признаки дисплазии тазобедренного сустава начинают проявляться в возрасте четырех месяцев. У других он развивается в сочетании с остеоартритом с возрастом. В обоих случаях есть несколько симптомов, с которыми владельцы должны быть знакомы. Эти симптомы могут варьироваться в зависимости от тяжести заболевания, уровня воспаления, степени подвижности сустава и того, как долго собака страдает дисплазией тазобедренного сустава.
- Снижение активности
- Уменьшенный диапазон движения
- Затруднение или нежелание вставать, прыгать, бегать или подниматься по лестнице
- Хромота на заднюю часть
- Покачивание, походка «заячьего прыжка»
- Решётка в стыке при движении
- Потеря мышечной массы бедра
- Заметное увеличение плечевых мышц, поскольку они компенсируют заднюю часть
- Боль
- Скованность или хромота
Диагностика дисплазии тазобедренного сустава у собак
При регулярном осмотре вашей собаки ветеринар проведет медицинский осмотр.
Иногда этого осмотра достаточно, чтобы ветеринар заподозрил дисплазию тазобедренного сустава. В других случаях владельцы должны сообщать ветеринарам, когда собаки испытывают дискомфорт.
Первое, что может сделать ваш ветеринарный врач, — это провести манипуляции с задними лапами вашей собаки, чтобы проверить подвижность сустава и проверить, нет ли скрежетания, боли или уменьшения диапазона движений. Физический осмотр вашей собаки может включать анализ крови, потому что воспаление, вызванное заболеванием суставов, может быть указано в общем анализе крови. Вашему ветеринару также потребуется история здоровья и симптомов вашей собаки, любые возможные инциденты или травмы, которые могли способствовать этим симптомам, а также любая имеющаяся у вас информация о происхождении вашей собаки.
Окончательный диагноз обычно ставится при рентгенографии или рентгенографии. Ваш ветеринар сделает рентгенограммы бедер вашей собаки, чтобы определить степень и серьезность дисплазии тазобедренного сустава, что поможет определить лучший курс лечения для вашей собаки.
Лечение дисплазии тазобедренного сустава у собак
Существует довольно много вариантов лечения дисплазии тазобедренного сустава у собак, начиная от изменения образа жизни и заканчивая хирургическим вмешательством. Если дисплазия тазобедренного сустава у вашей собаки не является серьезной или если ваша собака не является кандидатом на операцию по медицинским или финансовым причинам, ваш ветеринар может порекомендовать нехирургический подход. В зависимости от случая вашей собаки ветеринар может предложить следующее:
- Снижение веса для снятия нагрузки с бедер
- Ограничение физических нагрузок, особенно на твердых поверхностях
- Физиотерапия
- Добавки для суставов
- Противовоспалительные препараты (нестероидные противовоспалительные препараты, кортикостероиды)
- Модификаторы суставной жидкости
Если вашей собаке показана операция, есть и другие варианты. Несмотря на то, что существует довольно много различных хирургических стратегий, наиболее распространенными операциями, которые ветеринары используют для лечения дисплазии тазобедренного сустава у собак, являются:
- Двойная или тройная остеотомия таза (ДПО/ТПО)
- Остеэктомия головки бедренной кости (FHO)
- Полная замена тазобедренного сустава (THR)
ДПО/ТПО
Операция ДПО/ТПО обычно проводится у молодых собак в возрасте до 10 месяцев.
В этой операции функция шаровидного сустава улучшается за счет выборочного рассечения тазовой кости и ротации сегментов.
FHO
Операция FHO может проводиться у молодых и взрослых собак. Операция включает в себя отсечение головки бедренной кости или «шарика» тазобедренного сустава. Это приводит к тому, что тело создает «ложный» сустав, который уменьшает дискомфорт, связанный с дисплазией тазобедренного сустава. Хотя FHO не восстанавливает нормальную функцию тазобедренного сустава, это может быть успешной стратегией обезболивания.
THR
Наиболее эффективным хирургическим методом лечения дисплазии тазобедренного сустава у собак является полная замена тазобедренного сустава. Хирург заменяет весь сустав металлическими и пластиковыми имплантатами. Это возвращает функцию тазобедренного сустава в более нормальный диапазон и устраняет большую часть дискомфорта, связанного с дисплазией тазобедренного сустава.
Профилактика дисплазии тазобедренного сустава у собак
Не все случаи дисплазии тазобедренного сустава можно предотвратить.
Тем не менее, есть некоторые шаги, которые вы можете предпринять, чтобы снизить риск развития этого заболевания у вашей собаки. Поддержание здоровья костной системы вашей собаки должно начинаться, когда ваша собака молода. Кормление вашего щенка соответствующей диетой даст ему преимущество в здоровом развитии костей и суставов и поможет предотвратить чрезмерный рост, который приводит к заболеванию.
По мере роста вашей собаки обеспечение надлежащего уровня упражнений и здоровой диеты предотвратит ожирение, которое является основным фактором, способствующим дисплазии тазобедренного сустава. Кроме того, ожирение вызывает множество других проблем со здоровьем у собак, поэтому воздержитесь от объедков и жирной пищи.
Как потенциальный владелец новой собаки, изучите породу по вашему выбору. Найдите ответственного заводчика, который проводит соответствующие проверки здоровья, такие как рентгенограммы на дисплазию тазобедренного сустава и многое другое.
Лучший способ, с помощью которого заводчики могут предотвратить наследственную дисплазию тазобедренного сустава, состоит в том, чтобы проверять своих племенных собак на это заболевание.