Дисплазия тазобедренных суставов у кошек
Клинические проявления дисплазии
Диагностика
Лечение
До недавнего времени считалось, что кошки не подвержены дисплазии тазобедренных суставов (ДТБС). Это заболевание широко распространено среди многих пород собак как наследственная аномалия. По новым сведениям, оказалось, что эта болезнь встречается и у кошек и чаще всего также наследуется. Развитие дисплазии у кошки или собаки зависит не от одного гена, а от целого комплекса генетических факторов. Если у собаки или кошки обнаружена дисплазия, значит, один из родителей животного также является носителем этого заболевания.
Термин «дисплазия» обозначает аномальное развитие тканей. Тазобедренный сустав состоит из выпуклой и вогнутой поверхностей. Выпуклая поверхность – это верхушка бедренной кости (головка), которая вставлена в углубление, образованное в костях таза, которое называется вертлужной впадиной.
При дисплазии составные части тазобедренного сустава сформированы неправильно, поэтому головка бедренной кости не совпадает с вертлужной впадиной. Это приводит к тому, что головка становится более подвижной по отношению к суставу. Со временем эта аномальная подвижность и дегенерация сустава приводят к хроническим изменениям в костях ТБС. В большинстве случаев бывают поражены оба тазобедренных сустава, хотя один из них может страдать сильнее, чем другой.
КЛИНИЧЕСКОЕ ПРОЯВЛЕНИЕ ДИСПЛАЗИИ
У многих кошек ДТБС остается незамеченной в течение всей жизни. Они могут не проявлять признаков дисплазии в силу своего небольшого размера и того, что физическая нагрузка у кошек не такая интенсивная, как у собак, в пределах их естественной активности.
У некоторых кошек дисплазию находят случайно при рентгеновском исследовании по другим причинам. Это заболевание нельзя диагностировать при рождении, только по мере роста котенка.
У некоторых кошек с ДТБС, особенно у кошек с тяжелым течением болезни, проявляются явные симптомы и болезненность. Эти кошки выглядят напряженными во время движения, неохотно прыгают и лазают. Время от времени они хромают. В некоторых случаях симптомы начинают проявляться после травмы, например, после падения. При проявлении у животного клинических признаков, похожих на ДТБС, необходимо уточнить диагноз с помощью рентгеновского исследования тазобедренных суставов. Ветеринарный врач может распознать разные вариации аномалий в тазобедренных суставах, связанные с дисплазией. В некоторых случаях сустав бывает частично или полностью подвывихнут.
Как и у собак, к дисплазии предрасположены крупные породы кошек с тяжелыми костями, например, персидская и мейн-кун. Однако, заболевание встречается и у более мелких пород, например, у девон-рекса.
Диагностика ДТБС
Заводчики собак во избежание дисплазии тазобедренных суставов выполняют длительную скрининговую проверку животных и только потом включают их в программу разведения. У кошек в возрасте до двух лет можно только предварительно оценить заболевание, окончательный диагноз ставится уже по достижении кошкой этого возраста. Исследование проводится с помощью рентгена и требует седации для того, чтобы достичь расслабления мышц и обеспечить правильную укладку.
Лечение ДТБС
Как замечено ранее, многие кошки с ДТБС не испытывают никакого дискомфорта. Если у кошки с таким диагнозом имеется лишний вес, то регуляция ее веса снизит проявление дискомфорта. Для кошек с явным клиническим проявлением ДТБС (хромота, боль) используется медикаментозное лечение.
Ветеринарные врачи назначают противовоспалительные и обезболивающие препараты, а также кормовые добавки для восстановления сустава.
В качестве меры по снижению веса и способа безмедикаментозного лечения дисплазии ТБС у кошек, как и у собак, используются методы физической реабилитации. Реабилитация также показана для восстановления амплитуды движений и формирования мышечного каркаса в послеоперационном периоде.
Дисплазия тазобедренных и локтевых суставов у кошек — симптомы, диагностика, лечение
Термин «дисплазия» — общее название последствий неверного формирования отдельных частей, органов или тканей организма. Это может выражаться в изменениях размера, формы, строения и количества клеток, тканей или целых органов, приводящих к неправильной работе той или иной системы.
Привычнее всего нам слышать о дисплазиях костно-суставного аппарата, однако затронуть подобная проблема может любую ткань и систему организма животного. Подавляющее большинство случаев проявления дисплазии обуславливает генетика, и появляется эта проблема ещё в эмбриогенезе, когда зародыш ещё только формируется, однако есть случаи приобретённых форм дисплазии.
Среди разновидностей форм дисплазии суставов у кошек выделяют следующие заболевания: дисплазии тазобедренных суставов и дисплазии локтевых суставов. В списке пород, наиболее часто подверженных данной патологии, лидирующее место занимают представители породы мейн-кун. Связано это, прежде всего, с немалыми размерами взрослых особей, особенностями развития и темпами роста котят этой породы и наследственностью. Немаловажным предрасполагающим к дисплазии суставов кошек приобретённым фактором является избыточная масса тела животного (здесь речь идёт не о крупных, по стандартам породы, кошках, а о животных, страдающих от ожирения).
Основными жалобами, возникающими у владельцев, чьи животные подверглись дисплазии суставов, являются: снижение подвижности кошки, выраженная слабость конечностей, подвергшихся заболеванию, шаткая походка, хромота, неправильная постановка конечностей. В ходе проведения диагностических тестов ветеринарный врач на приёме выявляет выраженную болезненность и ограничение диапазона движений при ортопедическом осмотре. Однако, стандартом диагностики дисплазии суставов у животных является рентген-исследование с применением анестезии. Дело в том, что именно при достижении седации животного возможно придать правильное положение конечностям и суставам, чтобы дать объективную оценку наличию или отсутствию дисплазии исследуемой области костно-суставного аппарата кошки.
Тактика лечения определяются ветеринарным врачом-ортопедом по результатам полученного исследования – определяется стадия заболевания и прогноз. Описаны как методики консервативного подхода к лечению дисплазии суставов, так и техники оперативных вмешательств.
В любом случае, решение о подходе к лечению определяет лечащий врач, опираясь на данные объективных исследований.
Статья подготовлена врачами хирургического отделения «МЕДВЕТ»
© 2016 СВЦ «МЕДВЕТ»
Дисплазия у кошек | Мои домашние питомцы
Дисплазия суставов у кошки
Владельцы кошек, и те, кто ни минуты не сомневается в том, что ему действительно стоит заводить в своём доме представителя семейства кошачьих (об аргументах в пользу «за» и «против» такого решения читайте тут) знают, что кошки – это забавные и игривые создания, которые не дают скучать. Однако, в некоторых ситуациях их игривость может быть ограничена таким опасным заболеванием, как дисплазия тазобедренных суставов. На нашем сайте мы уже писали о дисплазии тазобедренных суставов у собак, но поскольку у кошек это заболевание несколько отличается – сегодня мы решили поговорить именно об этом недуге у семейства кошачьих.
Что такое дисплазия, почему она появляется у кошек, есть ли породная предрасположенность, какие симптомы проявления, как лечить дисплазию и как её предупредить
Дисплазия у кошек – как выглядит это недуг
Сустав
Дисплазией суставов тазобедренного отдела называют сложную патологию, суть которой заключается в том, что наблюдается несовпадение суставной головки и впадины.
И, хотя ветеринарная медицина до сих пор не установила точных причин развития дисплазии у кошек, однако, существует ряд факторов, которые могут создать благоприятные условия для развития дисплазии.
Причины развития дисплазии у кошек
Так, некоторые специалисты считают, что этому недугу в большей степени подвержены котята тех пород, которые интенсивно и быстро растут (к примеру, кошки породы ашера).
Также, велика вероятность того, что дисплазия носит наследственный характер.
Если рассматривать 2 эти версии на примере достаточно крупных кошек породы мейн кун, то, представители этой породы кошачьих действительно отличаются крупными размерами и быстро растут, при этом, эти кошки действительно чаще страдают от дисплазии.
Так что, вполне вероятно, что эти 2 фактора – быстрый рост и наследственность
Они лишь могут предполагать, что стало причиной дисплазии тазобедренных суставов. Однако, если вы видите, что ваша кошка принадлежит к крупной породе, рекомендуется регулярно проводить ей профилактические осмотры в ветеринарной клинике для того, чтобы не пропустить начало заболевания и своевременно начать лечение. Подробнее о породных заболеваниях кошек читайте тут.вернуться к содержанию ↑
Симптомы дисплазии у кошек
- Ярко выраженная слабость пораженных дисплазией конечностей кошки (не обязательно задних).

- Ограниченность в движениях (кошка не может прыгать или бегать, подняться, предпочитает больше вести пассивный образ жизни).
- Болезненность, которая нередко сопровождается жалобным мяуканьем.
- Вихляющая походка, во время которой кошка заваливается набок.
- Деградация мышечных тканей на пораженных конечностях – пораженные лапки становятся худыми.
Если вы заметили за своей кошкой один из этих симптомов – не стоит ждать, пока дисплазия проявит себя в полной мере. Обратитесь к ветеринару, ведь, лечить дисплазию на ранних стадиях намного проще, чем когда заболевание запущено.
вернуться к содержанию ↑
Факторы, способствующие развитию дисплазии у кошек
Виды дисплазии у кошек
Поскольку дисплазия тазобедренных суставов у отдельных пород кошек и отдельных особей имеет генетический характер – такие животные нуждаются в особом правильном уходе. Это сможет снизить риск развития дисплазии. Но, если вместо надлежащего ухода, владельцы перекармливают животное, в результате несбалансированного рациона питания кошка начинает страдать от ожирения, от избытка мышечной массы в области таза – они тем самым подвергают риску здоровье своего домашнего любимца.
Так что, как бы вы не любили своего питомца, как бы жалобно он не глядел в ваши глаза выпрашивая 20-й по счёту кусочек мяса – не идите у него на поводу. Проконсультируйтесь с ветеринаром по поводу того, как составить сбалансированный рацион питания для питомца и строго придерживайтесь его рекомендаций. Ведь, ожирение (подробнее об ожирении у кошек вы можете прочесть тут), помимо дисплазии грозит другими серьезными нарушениями, которые могут стать причиной ранней смерти животного.
вернуться к содержанию ↑
Диагностика дисплазии у кошек
Помимо того, что дисплазия выставляется на основании объективных симптомов, ветеринар должен провести ряд исследований, которые могли бы подтвердить или опровергнуть такой диагноз. Прежде всего, у животного с подозрением на дисплазию, берется на анализ кровь и моча, и проводится полное исследование этих материалов.
Также уместно сделать и рентгеновский снимок участка, где дисплазия под вопросом. Однако, мы бы хотели обратить сейчас ваше внимание на то, что
рентген делать кошкам, которым не исполнилось 2-х лет – категорически запрещается.
Так что, если дисплазия выставляется кошке, возраст которой младше 2-х лет, придется обойтись без рентгена и довериться опыту ветеринара. По-поводу последнего, каким бы не был ветеринар хорошим специалистов, в тех случаях, когда можно провести ряд дополнительных исследований для подтверждения диагноза, он не будет от них отказываться, ведь, сами по себе такие симптомы, как виляющая походка, болезненность и скованность движений могут свидетельствовать о других заболеваниях, в частности о механических травмах. И, поэтому, очень важно правильно установить диагноз и правильно назначить курс лечения.
вернуться к содержанию ↑
Лечение дисплазии у кошек
вернуться к содержанию ↑
Диета для кошек больных дисплазией
Лечение этого заболевания начинается с… того, что вам необходимо будете пересмотреть рацион питания питомца.
Специалист должен назначить ему лечебную диету, которая предполагает ограничение количества жиров, правильное соотношение солей, витаминов, макро и микроэлементов. При этом, рекомендации даются исходя из результатов биохимического анализа крови больной кошки, и имеют индивидуальный характер.
вернуться к содержанию ↑
Физиопроцедуры
На начальных стадиях заболевания хороший результат дают физиотерапевтические процедуры и массаж, однако, если заболевание уже запущено, то физиотерапевтические процедуры могут только ухудшить состояние животного.
вернуться к содержанию ↑
Лекарства и витамины
Характерная для дисплазии поза кошки
При запущенных и сложных формах дисплазии у кошек назначается консервативная терапия, предполагающая медикаментозный метод лечения. Кошке, исходя из симптоматики заболевания, назначают обезболивающие препараты, витамины, противовоспалительные средства. Как правило, такой консервативный метод лечения почти всегда уместен для старых животных, оперировать которых уже не представляется возможным, в виду ослабленности их организма.
Однако, если животное молодо, его организм сильный, консервативный метод лечения можно отложить на крайний случай, для того, чтобы бы всё-таки дать шанс кошке на полное выздоровление.
вернуться к содержанию ↑
Операция
В некоторых случаях, особенно молодым и сильным животным, ветеринар может рекомендовать проведение оперативного вмешательства. На сегодняшний день в ветеринарной практике существует 3 вида таких вмешательств:
- тройная остеотомия во время которой укрепляется поврежденный участок сустава, и для укрепления используется особая металлическая конструкция; резекционная артропластика – уместна в случае выраженной деградации пораженного сустава, во время такой операции удаляется головка бедренной кости, а на её месте врачом формируется так называемый эрзац из мышечных тканей, на месте которого со временем сформируется хрящевая пластинка, которая позволит кошке нормально передвигаться;
- протезирование – предполагает ликвидацию пораженного сустава и установку на его место протеза из полимерных или металлических материалов.

Что касается эффективности и особенностей таких оперативных мер, то тройная остеотомия подходит для молодых кошек без дегенеративных изменений в тканях, операция даёт хороший результат и является не дорогой. Протезирование является хотя и дорогим, но оптимальным и полным решением проблемы дисплазии, так как после операции кошка получает здоровую конечность, которая не доставляет ей больше хлопот. В 90% случаев кошки после такого протезирования полностью восстанавливаются и ведут полноценный образ жизни, радуя своих хозяев активными кошачьими забавами и играми (всё о кошачьих играх).
Правда, какое бы оперативное вмешательство не проводилось, животное после него будет нуждаться в особом послеоперационном уходе, подробности которого описаны здесь. И, для того, чтобы кошка окончательно восстановилась – потребуется время.
вернуться к содержанию ↑
Профилактика дисплазии у кошек
Поскольку, дисплазия суставов – это достаточно опасное заболевание опорно-двигательного аппарата кошки, которое приводит к дегенеративным изменениям в организме животного, а лечение – достаточно сложный процесс, куда легче постараться предупредить развитие дисплазии, и снизить риск её возникновения.
Для этого вам стоит правильно кормить питомца (подробнее о том, чем кормить кошку), следить за его весом, и регулярно показывать ветеринару, для того, чтобы выявить возможную дисплазию на ранней стадии, когда она ещё поддаётся коррекции. В случае, если же дисплазия всё-таки диагностирована – не откладывайте лечение питомца, так как в случае его отсутствия кошка может быть полностью обездвижена.
Видео о кошках породы мейн кун, который часто страдают дисплазией суставов
Сегодня мы с вами говорили о дисплазии у кошек, о причинах развития этого заболевания, о его основных симптомах и о лечении и профилактике дисплазии. Надеемся, что наши рекомендации помогут сохранить здоровье вашего питомца и своевременно оказать ему адекватную помощь.
А, как вы считаете, наши читатели, что может быть причиной развития дисплазии у кошек? Возможно, кто-то сталкивался с таким заболеванием у своего питомца – поделитесь с нами своей историей и опытом лечения.
Читайте также о том, как делать кошке уколы.
Ждем ваших отзывов и комментариев, присоединяйтесь к нашей группе ВКонтакте!
Ветеринар ортопед. Операции при травмах кошки и собаки в Уфе. +7 (347) 246-59-26
Наиболее частым поводом для обращения в ветеринарному врачу хирургу, ортопеду, травматологу является травма.
- автомобильные травмы
- высотные травмы
- бытовые травмы
- травмы после драк с другими животными
В некоторых случаях заболевания костно-суставного аппарата не связаны с травмой.
- артрозы
- артриты
- разрыв ПКС
- вывих
- болезни дисков
В некоторых случаях у животных могут развиваться заболевания опорно-двигательного аппарата при нарушениях обмена веществ и не требуют оперативного вмешательства.
Например, гиперпаратиреоз у котят и щенков — заболевание, требующее ограничения подвижности и качественного полноценного питания. Прогноз на ранних стадиях этой болезни вполне благоприятный.
Обратитесь к ветеринарному врачу ортопеду, если:
- собака или кошка хромает
- собака или кошка принимает неестественную позу
- животное поджимает лапы
- у собаки или кошки боль при движении
- у животного деформированы конечности
- собака или кошка сломала лапу
Диагностика и лечение
На приеме врач осмотрит животное, составит план диагностики заболевания и обсудит с владельцем необходимость исследований и дальнейшего лечения. Если владелец дает свое согласие — врач приступает к работе.
Чтобы поставить диагноз и назначить эффективное лечение врач проводит рентген в нескольких проекциях.
Лечение может быть как терапевтическим (прием лекарственных препаратов, местное лечение), так и хирургическим.
При травмах и планировании операций необходимы:
- УЗИ, для исключения травм грудной или брюшной полости
- биохимический и общеклинический анализы крови
- ЭхоКГ и ЭКГ
Если животное после травмы находится в критическом состоянии, врач оказывает экстренную помощь для спасения жизни пациента и стабилизации его состояния.
К оперативному лечению переломов и некоторых травм, не угрожающих жизни животного приступают после оказания реанимационных мероприятий.
Операции в нашей клинике проводит бригада врачей — хирург, анестезиолог, ассистенты.
Обсуждение операции и риски
Перед любым хирургическим вмешательством между хирургом и владельцем животного состоится беседа.
Врач подробно объясняет необходимость, суть и риски проведения операции.
Мы просим владельцев задавать все интересующие вопросы, чтобы достичь взаимопонимания и иметь возможность доверять врачу.
Есть категория животных, которая имеет высокий риск гибели во время операции.
К этой категории относятся тяжелые животные, требующие экстренного хирургического вмешательства, пожилые животные, животные имеющие сочетанные травмы.
Владельцы информируются об этом перед операцией. У нас существует обязательная процедура подписания информированного согласия перед любой манипуляцией с применением общей анестезии.
Цены на операции опорно-двигательнонго аппарата по категориям сложности
Включает обязательный клинический осмотр перед операцией, работу хирурга, ассистентов, анестезиолога, стоимость анестезии и расходных материалов, наблюдение специалиста в реанимации до удовлетворительного состояния
| Ампутация конечности | 7000-10000 |
| Артродез сустава у кошки | 7000-10000 |
| Артродез сустава у собаки | 10000-15000 |
| Извлечение штифта или спиц после остеосинтеза | 1000-3000 |
| Оперативное лечение разрыва передней крестообразной связки | 12000-20000 |
| Оперативное лечение вывиха надколенника | 10000-15000 |
| Оперативное лечение расслаивающего остеохондрита плечелопаточного сустава у собак | 12000-18000 |
| Оперативное лечение расслаивающего остеохондрита локтевого сустава у собак | 12000-18000 |
Оперативное лечение дисплазии локтевого сустава у собак.![]() |
12000-18000 |
| Оперативное лечение дисплазии тазобедренного сустава у собак. Ювенильный симфизиодез | 7000-12000 |
| Оперативное лечение дисплазии тазобедренного сустава у собак. Резекция головки бедренной кости, 1сустав | 8000-12000 |
| Оперативное лечение дисплазии тазобедренного сустава у собак. Двойная, тройная остеотомия таза, 1сустав | 25000-30000 |
| Оперативное лечение расщелины верхнего нёба у кошки | 10000-12000 |
| Оперативное лечение расщелины верхнего нёба у собаки | 12000-17000 |
| Оперативное лечение вывиха нижней челюсти | 7000-10000 |
| Оперативное лечение перелома нижней челюсти | 10000-15000 |
| Остеосинтез, по категориям | 10000-20000 |
Ежедневно в нашей клинике проводится 2-8 операций.
Опыт ветеринарных врачей хирургов 5-20 лет.
Задайте вопрос нашим специалистам или запишитесь на прием прямо сейчас по тел: +7 (347) 246-59-26, +7 (917) 452-64-66. Звоните.
Дисплазия тазобедренного сустава у кошек и то, что вам нужно знать об этом
Хотя это редко встречается, важно знать это заболевание, которое влияет на естественный ход движения пораженного животного. В этой статье вы узнаете все, что вам нужно о дисплазия тазобедренного сустава у кошек нужно знать.
Что такое дисплазия тазобедренного сустава у кошек?
Она редкая проблема у кошек и встречается гораздо чаще у собак. В основном дисплазия тазобедренного сустава вызывает аномальное развитие и Дегенерация суставов в области тазобедренного сустава.
существует определенная наследственная предрасположенность, поэтому, например, страдают женщины Кошки Мейн-Кун чаще от этого заболевания.
В тяжелых случаях это может привести к деформации костей, повреждения хряща из-за неестественных движений, остеоартрит хромает и даже приходят к изнурительной боли.
то, что Вы тоже еще может заинтересовать:
гипертрофическая кардиомиопатия у кошек: лечение и уход
дисплазия тазобедренного сустава у кошек начинается, когда животное щенок, то есть, когда кости еще не полностью развиты. со временем проблемы ухудшаются.
Искривление и повреждение хряща создают микро-переломы, которые делают невозможным животное, нормально ходить, лазать, прыгать или играть.
Каковы симптомы дисплазии тазобедренного сустава у кошек?
Даже если диагноз должен быть сделан ветеринаром, как владелец животного, у нас есть обязательство обратить внимание на определенные симптомы или признаки, которые могут указывать на дисплазию тазобедренного сустава у кошек:
1. Меньше Активности
Уменьшение активность у кошек часто возраст приписываемые, но также здоровые взрослые и пожилые люди бегают, прыгают и лазают по деревьям. таким образом, если ваш питомец больше не играет или не выполняет определенные действия, необходимо, чтобы вы проверили его ветеринаром.
2. Боль
Дисплазия тазобедренного сустава у кошек очень болезненна, поэтому пораженные животные жаловаться на каждую позу, на каждое движение и на каждый шаг. Если вы кошка в нижней части спины трогает, может быть, мяукает громко, потому что у нее болит.
3. Трещина
обратите особое внимание на звуки во время ходьбы, сна или перемещения кошки. при дисплазии нормально слышать треск в бедре. Это особенно происходит, когда бархатная лапа хочет встать после того, как она спала на кровати или одеяле в течение нескольких часов.
4. Расширил Плечи
Еще один симптом дисплазии тазобедренного сустава у кошек заключается в том, что передняя часть кошки становится все шире или больше. Откуда это взялось?
К растянутым плечам идет, потому что животное меняет свои движения и перемещает весь вес тела вперед. это как попасть в фитнес-центр идите и тренируйте только верхнюю часть тела.
5. Изогнутая Спина
дисплазия также приводит к изменениям в позвоночнике. когда кошка уходит, ей нужно наклониться вперед и согнуть спину, чтобы уменьшить вес на задних ногах.
Вы заметите, что она едва поддерживает ваши тюки при перемещении. Кроме того, она, вероятно, тоже будет хромать.
Лечение дисплазии тазобедренного сустава у кошек
Потому что другие заболевания также имеют сходные симптомы причина, дисплазия тазобедренного сустава не всегда правильно диагностируется у кошек. во многих случаях сильное отставание (одно-или двустороннее) является надежным доказательством того, что у нее есть это заболевание.
ваш ветеринар будет исследовать тазобедренные суставы и сделать соответствующие рентгеновские снимки области таза, чтобы определить проблему. после диагностики существуют различные методы лечения, чтобы уменьшить симптомы облегчить и предотвратить прогрессирование.
еще один совет для чтения для вас:
семь распространенных заболеваний кошек
До сих пор нет лекарств от дисплазии тазобедренного сустава у кошек.
Лечение может включать физиотерапию, ограничение активности, использование пероральных или инъекционных противовоспалительных препаратов и контроль веса.
дальше — Вы тоже можете сделать операцию,который может даже включать полную замену бедра.
как определить лихорадку у кошек? В нашем посте мы хотели бы объяснить вам, как распознать лихорадку у кошек. Читайте дальше, чтобы узнать больше об этой теме. подробнее»Дисплазия тазобедренного сустава › Белый Клык
Дисплазия тазобедренного сустава является болезнью роста у собак и у кошек. Чаще всего она наблюдается у крупных, быстро растущих собак, таких как немецкие овчарки и ротвейлеры. Однако достаточно часто встречается
у собак всех пород и у чистопородных кошек.
Оба пола подвержены ей одинаково. Ее этиология неясна, а развитие болезни включает множество факторов — генетику, окружающую среду и питание (табл. 1). Дисплазия тазобедренного сустава — полигенетическое заболевание, поэтому тщательный отбор животных внутри породы помогает снизить частоту ее возникновения. Разведение фенотипически нормальных животных не гарантирует, что их потомство не будет подвержено дисплазии, но от здоровых родителей более вероятно получить крепкое потомство.
Роль пищевых факторов в развитии дисплазии тазобедренного сустава
Пищевой фактор
Высококалорийный рацион влияет на развитие дисплазии, но какие составные части пищи (белки, жиры или углеводы) являются главным фактором, остается неизвестно.
Рекомендация по кормлению
При переходе щенков на самостоятельное кормление, давать высококачественную, промышленно изготовленную пищу для взрослых собак.
Пищевой фактор
Собаки с лишним для их породы весом имеют больший риск заболевания и в более тяжелой форме.
Рекомендация по кормлению
Ограничение как частоты приема пищи, так и ее объема, чтобы в результате получить худого, медленно растущего щенка.
Пищевой фактор
При остеохондрозах может потребоваться поддержка витаминами. Излишний прием кальция может спровоцировать остеохондроз, сохранение хрящей, искривление лучевой кости и замедленный рост.
Рекомендация по кормлению
Никаких дополнений к диете.
При развитии дисплазии тазобедренного сустава собаки от рождения имеют нормальные тазобедренные суставы. Повышенная нагрузка на несформировавшиеся суставы может повлиять на фенотипическое проявление дисплазии тазобедренного сустава. Для развития правильной суставной конгруэнтности должна присутствовать сильная, хорошо сбалансированная мышечная поддержка всему тазовому региону. У собак с дисплазией наблюдаются увеличенные углы наклона (coxa valga) и поворота вперед проксимальной части бедренной кости, из-за которых могут перераспределяться нагрузки внутри сустава.
Что бы ни являлось причиной дисплазии тазобедренного сустава — слабая поддержка мягких тканей или деформация сустава, главный признак этого заболевания — слабость сустава с подвывихом головки бедренной кости. Последствиями подвывиха головки бедренной кости являются эрозия суставного хряща, синовит, опухоль круглой связки, которая может растянуться и даже порваться, аномальная концентрация напряжения на дорсальном краю вертлужной впадины, вызывающая микротрещины с последующей потерей вертлужной впадиной своей формы. Последующие изменения включают остеофитные формации, изменение формы головки и шейки бедренной кости и вертлужной впадины, а также прогрессирующую ДБС.
Клинические симптомы
Возраст, в котором появились первые признаки заболевания, тяжесть клинических симптомов и скорость развития дисплазии различаются у отдельных животных. Первые клинические симптомы обычно отмечаются в возрасте между 4—12 месяцами и включают пониженную двигательную активность, хромоту, усиливающуюся после нагрузки, качающуюся и неустойчивую или прыгающую походку, трудности при подъемах и прыжках, нежелание идти вверх или вниз по ступенькам.
Эти клинические симптомы могут неожиданно исчезнуть на несколько месяцев или лет, пока не разовьется тяжелая степень ДБС. Симптомы, связанные с ДБС, включают хроническую, медленно прогрессирующую хромоту, резкую хромоту после большой нагрузки, тугоподвижность или хромоту сразу после вставания, боли при манипуляциях с бедром, ощущаемую крепитацию тазобедренного сустава, гипертрофию мышц передних конечностей из-за переноса на них веса тела, атрофию тазовой мускулатуры, походку вразвалку из-за укороченного шага и нежелание вставать или ходить. Некоторые животные остаются асимптоматичными.
Диагноз
Диагноз ставится на основе клинических симптомов, результатов физической оценки и рентгенографии. Полная оценка животного необходима, чтобы исключить неврологические и ортопедические заболевания. Примерно одна треть пораженных животных имеет проблемы с плечевым и коленным суставами. У некоторых щенков присутствуют боли в тазобедренном суставе (связанные с микротрещинами, воспалением субхондральной кости, микроразрывами в суставной сумке или связках или ДБС), но слабость сустава — главная проблема.
Очень важно распознать степень болезненной слабости сустава по сравнению со здоровым щенком. Существует несколько методов идентификации слабости тазобедренного сустава, все они должны применяться после введения седативных препаратов.
Оценка слабости тазобедренного сустава
Симптомы Ортолани (угол редукции)
Собака находится в дорсальном положении. Зажать колено и направить бедренную кость перпендикулярно полу. Жестко надавить вниз на коленный сустав (если тазобедренный сустав слаб, то он подвывихнется) и медленно отвести конечность, продолжая давить на коленный сустав. Тазобедренный сустав повернется вместе с этим движением, это хорошо почувствуется и будет слышен щелчок. Это — угол редукции.
Симптомы Барлоу (угол подвывиха)
После выполнения пробы на симптомы Ортолани приводят конечность и головку бедренной кости для подвывиха. Это будет угол подвывиха.
Тест Бардена (латеральное смещение)
Собака находится в латеральном положении.
Одну руку положить на большой вертел, другой рукой захватить бедро, как можно проксимальнее, и поднять его латерально без отведения конечности. Если сустав слаб, то большой вертел освободится.
Рентгенограммы должны выполняться под седалгией или под наркозом, чтобы обеспечить нужное положение сустава. Стандартный рентгенографический снимок делается, когда собака находится в дорсальном положении с вытянутыми параллельно задними конечностями, колени повернуты так, чтобы коленная чашечка находилась в центре блоковой борозды и симметрично расположенным тазом. Вентродорсальный вид должен включать два поясничных позвонка и оба колена. Тяжесть клинических симптомов не соотвествует тяжести рентгенографических изменений. Рентгенографическая съемка под нагрузкой поможет количественно оценить степень слабости сустава.
Лечение и хирургическая техника
Лечение зависит от стадии заболевании, от назначения собаки (рабочая), тяжести клинических симптомов и финансового состояния владельца.
Основные цели лечения молодых животных со слабостью сустава — уменьшение боли и снижение скорости развития дегенеративных изменений, а с хронической ДБС — снижение боли и восстановление функций конечности.
Консервативное лечение может быть использовано отдельно, перед хирургической операцией или вместе с ней. Нагрузка должна быть ограничена, а вес животного — снижен до минимального. Упражнения, не использующие несущие функции конечностей (плавание), могут быть полезны для поддержания мышечной массы и функции сустава, но без лишней нагрузки на сустав. Для снижения дискомфорта необходимо содержать животное в тепле и накладывать согревающие компрессы. Для облегчения состояния животного могут использоваться различные лекарства.
Животные с тяжелыми остеоартритами могут не поддаваться консервативному лечению, поэтому для них должна рассматриваться возможность хирургической операции. Соответствующая хирургическая процедура преследует те же цели — предотвращение развития ДБС, снижение боли и сохранение функций конечностей.
что это значит, диагностика, симптомы и лечение
Прежде всего, следует сказать, что дисплазия тазобедренных суставов, даже если она и есть у питомца, вовсе не обязательно себя рано или поздно проявит. У многих мурлык это заболевание никак не даёт о себе знать на протяжении всей жизни, тогда как у других с раннего возраста начинают проявляться его признаки. С чем это связано? Во-первых, с физическим состоянием животного, во-вторых, с тем, что дисплазия может быть разных степеней тяжести, и если у котика лёгкая форма, то болезнь может быть выявлена только во время рентгена.
Описание заболевания дисплазия тазобедренного сустава у кошек
Прежде всего, следует сказать, что любая дисплазия – это ни что иное, как неправильное формирование и последующее развитие ткани или органа.
Что же касается непосредственно дисплазии тазобедренных суставов (тбс), то ещё не так давно считалось, что кошки ею не болеют вообще.
Однако, как оказалось, это далеко не так, и что, согласно статистике, наиболее подвержены этому недугу породистые, и, в особенности, крупные кошки, такие, как мейн кун, норвежская лесная, британская и персидская.
Что же до шотландской вислоухой, то, несмотря на то, что шотландцы куда меньше тех же британцев, из-за мутации, ставшей причиной провисания у них ушных хрящей, эта порода склонна к нескольким серьёзным заболеваниям опорно-двигательного аппарата, среди которых значится и дисплазия тазобедренных суставов.
В чём же заключается эта патология? Дело в том, что при этой болезни бедренная кость из-за неправильного формирования и развития не может правильно совмещаться с тазовыми костями: между ней и тазовой впадиной образуется свободное пространство.
Это приводит сначала к повреждению соединительной ткани, такой, как хрящи, а потом уже начинают деформироваться и кости.
Важно!
Дисплазию тазобедренных суставов невозможно поставить в раннем возрасте, так как она проявит себя только по мере взросления котёнка. Однако, если это заболевание было диагностировано у близких родственников малыша, то вероятность его появления у подрастающего питомца будет несравнимо выше, чем если бы он принадлежал к линии, свободной от данного недуга.
Признаки
Первые признаки дисплазии могут начать проявляться уже в раннем возрасте. В самом начале у молодой кошки могут быть нарушены движения, и это состояние только усиливается после физической нагрузки.
Позже, по мере того, как заболевание прогрессирует, может развиться хромота. Животное становится малоподвижным из-за испытываемой им боли, оно предпочитает почти всё время лежать или сидеть и старается избегать двигательных нагрузок.
Со временем поражённые болезнью суставы увеличиваются, а при сгибательных или разгибательных движениях при этом даже может быть слышимым их хруст.
Важно!
Если у животного поражён только один сустав, то на этой задней конечности у него могут атрофироваться мышцы.
Симптомы (фото)
Симптомами дисплазии тазобедренных суставов могут являться:
- Неуклюжесть.
- Пошатывающаяся походка.
- Выполняя прыжки, кошка скачет, как заяц.

- Хромота, особенно сильно заметная после того, как животное побегает или попрыгает.
- Чётко слышимый хруст при движении.
- Котик не любит прыгать по верхам, даже на стул или на диван предпочитает не забираться.
- Когда кошка встаёт, видна скованность её движений.
- Х-образный постав задних конечностей и атрофия мышц.
Насколько сильно будут проявляться признаки дисплазии зависит от её степени. Всего же их пять:
- Здоровый сустав: всё в порядке, дисплазия полностью отсутствует
- Незначительные изменения, заметные только на рентгене.
- Лёгкие патологические изменения: на этой стадии возможны клинические проявления недуга.
- Тяжёлая степень: на рентгеновских снимках можно заметить серьёзные изменения, также присутствуют ярко выраженные клинические симптомы.
- Крайне тяжёлая степень: при ней происходит полное разрушение сустава и его вывих.
Важно!
Если дисплазия впервые заявит о себе в раннем возрасте, то перечисленные симптомы будут менее явными, чем в том случае, если заболевание впервые проявилось уже в зрелом возрасте питомца.
Степени дисплазии имеют особенное значение для допусков к вязкам. Согласно правилам Всемирной федерации кошек, к разведению допускаются животные с первыми тремя степенями, при этом, выбирая партнёра для своего питомца, предпочтение, конечно же, следует отдавать совершенно здоровым производителям.
Факторы, способствующие развитию дисплазии
Одна из основных причин появления у кота дисплазии тазобедренных суставов – это наследственность. Причём, как было выяснено после проведённых учёными исследований, ген дисплазии может передаться котятам даже в том случае, если и мать, и отец у них совершенно здоровы. А перейти к малышам «по наследству» болезнь могла и от их очень дальнего предка, так как дисплазия иногда передаётся даже через 15 поколений.
Но далеко не всегда развитие этого заболевания связано с наследственностью. И среди других причин его появления можно также назвать:
- Очень ранняя кастрация или стерилизация, из-за чего рост костной ткани был замедлен.

- Избыточный вес, приводящий к повышенной нагрузке на суставы и к их последующей деформации.
- Травмы лап или позвоночника.
- Недостаточная физическая активность.
- Усиленный темп роста котёнка, характерный для крупных пород, таких, как мейн кун.
- Недостаток кальция в организме.
- Рахит.
- Гормональные нарушения.
- Врождённые патологии строения костной системы и двигательного аппарата.
- Кормление исключительно мясом или некачественным сухим кормом.
Внимание!
Невзирая на то, что учёные считают наследственность основной причиной предрасположенности животного к дисплазии, ген, который отвечает за данную патологию до сих пор не выявлен. Также имеются предположения, что на деформацию костно-мышечного аппарата у кошек влияет не один, а сразу несколько генов.
Диагностика: как выявить?
Одним из наиболее верных способов диагностики является рентген. Он не только позволит узнать, имеются деформации суставов у питомца или же нет, но к тому же ещё и точно сможет определить природу этих изменений, будь то дисплазия, травма, артрит или артроз.
При личном осмотре животного проводится пальпация суставов для того, чтобы ветеринар мог оценить их подвижность, наличие или отсутствие болезненности и крепитации.
Артроскопия, представляющая собой мини-операцию, позволит путём прокола оценить состояние тканей. Она рекомендуется как метод диагностики для ранних стадий заболевания.
К тому же во время неё, если есть необходимость, врач сможет убрать скопившуюся жидкость и частички разрушенного хряща.
Помимо этого назначаются общий анализ крови и мочи, определение уровня солей, а также биохимия.
Лечение
В зависимости от стадии заболевания и того, насколько сильно поражены суставы животного, проводится либо консервативное, либо оперативное лечение.
Терапевтические мероприятия
Если нет показаний к операции, то лечение проводится терапевтическими и медикаментозными методами.
На начальных стадиях развития болезни ветеринары, обычно, рекомендуют ограничить двигательную активность питомца, для чего советуют поместить его в клетку или в небольшой вольер.
Это, прежде всего, необходимо для того, чтобы суставы постоянно были в естественном положении, что позднее позволит их правильно зафиксировать, что поможет заметно снизить нагрузку на них.
Следующее необходимое для улучшения состояния условие – специальная диета. В рационе кошки уменьшается доза жирной и тяжёлой пищи, но при этом увеличивается количество продуктов, богатых кислотами омега-3.
Желательно также добавлять в еду продукты или добавки, в состав которых входит хондроитин и глюкозамин.
Кота, у которого имеется избыточный вес, необходимо посадить на диету, при этом кормить его желательно специальными диетическими кормами.
В начале болезни неплохо помогают такие процедуры, как массаж, прогревания и электрофорез, но при хромоте и боли они запрещены.
Важно!
Владельцу необходимо постараться облегчить жизнь питомца: следует подобрать для него удобную лежанку, подходящую по размеру и поставить её в удобном для кота месте.
То же самое касается миски и лотка. Кроме того, следует убрать высокие препятствия, которые больному животному приходится преодолевать в прыжке.
Методы лечения
Если дисплазия находится в запущенной форме, то применяется медикаментозное лечение, включающее в себя использование противовоспалительных и обезболивающих лекарств, а также витаминов.
Однако применение их без отсутствия фиксации поражённого сустава неэффективны, так как после того, как лекарства снимут боль, кошка снова начнёт всей своей массой опираться на больную лапу, а это может только ухудшить её состояние.
В том же случае, когда болезнь достигла своей последней стадии, без оперативного вмешательства уже не получится вернуть животное к полноценной жизни.
При дисплазии проводится три вида операции:
- Резекция головки тазовой кости. При этом способе головка бедра отпиливается и на месте поражённого сустава формируется искусственный.
- Коррекция приводящей мышцы бедра.
Эту операцию имеет смысл проводить только в том случае, если котёнку ещё нет года. - Протезирование. Суть операции в том, что устанавливается искусственный протез поражённого болезнью сустава.
Важно!
Вид необходимого оперативного вмешательства определяет ветеринар, так как только он может просчитать вероятные риски и сделать прогноз результата операции.
Отзывы хозяев
Анастасия, 32 года, Вологда
Покупая нашу малышку шотландской породы, мы и подумать не могли о том, с чем нам очень скоро придётся столкнуться. Первое время всё было замечательно: Лилу росла игривой и весёлой, как все котята. Но потом мы всё чаще начали замечать, что наша кошечка меньше двигается, а её походка стала нетвёрдой и прихрамывающей. Решив, что котёнок повредил лапку, мы отвезли её в клинику, где после обследования и был поставлен диагноз: дисплазия тазобедренного сустава. Врач назначил нам лекарства, хондропротекторы и витамины, а ещё посоветовал на некоторое время не выпускать Лилу из клетки.
Нам было жаль ограничивать для малышки свободу передвижения, но, понимая, что это ей во благо, сделали так, как врач советовал. Вскоре состояние нашей кисы улучшилось, теперь она чувствует себя намного лучше.
Людмила, 41 год, Екатеринбург
Наш Жюстин – огромный кот породы мейн кун. Брали мы его в питомнике, со всеми полагающимися документами и, вроде бы, к выбору заводчика подошли ответственно, выбирали питомник долго и тщательно. Кто бы мог подумать, что нашему Жюсту перейдёт дисплазия от его какого-то прадеда? Но к тому времени, как мы узнали, что с котом не всё ладно, успели и несколько выставок с ним пройти и даже кандидатом в чемпионы стать. Но, когда речь зашла о вязках, в клубе предложили сделать проверку на дисплазию, и вот тут-то всё и выяснилось. К счастью, степень заболевания у нас оказалась всего лишь вторая, это не так страшно. Ветеринар тут же назначил нам массаж и прогревание, а, кроме того, специальную диету, чтобы предотвратить дальнейшее развитие болезни.
И действительно, дисплазия перестала развиваться. А вот от разведения, скорее всего, нам придётся отказаться: не хотим мы, чтобы потом дети нашего Жюста мучились, это ведь, нам, можно сказать, повезло, а если у кого-то из котят более серьёзная степень болезни окажется?
Виктория, 29 лет, Новороссийск
Честера нам подарили родственники, у которых кошка персидской породы перегуляла с соседским шотландцем. Котята получились очаровательные, и мы, не удержавшись, взяли себе одного мальчика. О том, что метисы вислоухих кошек предрасположены к дисплазии, мы, конечно, не знали, да и не могли тогда знать. Котёнок был крупным и упитанным, покушать он всегда у нас любил, ну и, как-то неожиданно набрал лишний вес, а потом вдруг ни с того ни с сего захромал. Повезли его в клинику, и, надо же – дисплазия тазобедренных суставов! Врач сказал, что это, скорее всего, из-за лишнего веса произошло, и что, не будь Честер таким раскормленным, всё было бы не так страшно. Лечение было долгим: коту зафиксировали больную лапу и прописали обезболивающие и противовоспалительные лекарства, а также витамины, хондроитин и глюкозамин.
Ещё мы его на массаж и прогревания в клинику возили. А в первую очередь ветеринар сказал, что нужно Честера на диету сажать и посоветовал кормить его специальным кормом для кошек склонных к ожирению. Это помогло: вскоре состояние нашего пушистого увальня заметно улучшилось, так что, по всей видимости, операция нам и не потребуется.
Профилактика
Для того, чтобы избежать дисплазии тазобедренных суставов или хотя бы уменьшить риск её появления у питомца, рекомендуется следовать ниже перечисленным правилам:
- Не получать потомства от производителей, близкие родственники которых больны дисплазией.
- При покупке породистого котёнка желательно узнать наследственность у его заводчиков.
- Если планируется брать котёнка породы, имеющей предрасположенность к дисплазии, то необходимо как можно более тщательно подойти к выбору питомника и производителей. Желательно брать малыша из линий, полностью свободных от дисплазии.
- Не допускать перекорма и ожирения питомца.

- Питание котика должно быть сбалансированным.
- Необходимо проводить профилактику по предотвращению рахита, который также может спровоцировать развитие дисплазии.
- Следует регулярно возить питомца в клинику на профилактические осмотры. Особенно это важно в том случае, если у него имеется наследственная предрасположенность к этому заболеванию.
- Нужно внимательно относиться к коту, не подвергая его риску получить травму позвоночника или конечностей, а при первых признаках дисплазии безотлагательно везти его в ветеринарную клинику.
Полезное видео
В видео ниже рассказано о болезнях суставов у котов и правила их содержания.
Вывод
Дисплазия тазобедренных суставов чаще всего оказывается связанной с наследственностью кошки. Но иногда её появление могут спровоцировать такие причины, как травмы, неправильное кормление или содержание. В том случае, если болезнь возникла, её желательно застать на самых ранних стадиях, в этом случае не потребуется прибегать к оперативному вмешательству или к медикаментозному лечению, а терапевтические меры окажутся куда более эффективными, чем в том случае, если заболевание запустить.
Как лечить дисплазию тазобедренного сустава у кошек
Дисплазия тазобедренного сустава — это ортопедическое заболевание тазобедренного сустава, которое может поражать кошек. Это результат аномального развития одного или обоих тазобедренных суставов и вызывает нестабильность и дегенерацию суставов. Дисплазия тазобедренного сустава — очень распространенная проблема со здоровьем у собак, но встречается и у кошек.
Что такое дисплазия тазобедренного сустава у кошек?
Дисплазия тазобедренного сустава — это дегенеративное заболевание, которое вызывает деформацию шаровидного сустава в бедре, что приводит к боли и скованности.У кошек с дисплазией тазобедренного сустава, скорее всего, по мере прогрессирования заболевания разовьется остеоартрит.
Нормальный функционирующий тазобедренный сустав состоит из округлой головки бедренной кости, которая находится в структуре, напоминающей впадину, которая называется вертлужной впадиной. Сустав может работать плавно с помощью хряща, суставной жидкости и мышц.
Когда у кошки дисплазия тазобедренного сустава, головка бедренной кости приобретает неправильную форму и неправильно располагается в вертлужной впадине. Сустав становится нестабильным, вызывая боль, воспаление и скованность.Плохо подогнанный сустав может в конечном итоге разрушить хрящ, и кости будут тереться друг о друга. В некоторых случаях головка бедра смещается от вертлужной впадины. Со временем может возникнуть остеоартрит, и в суставе появятся аномальные костные разрастания. Это еще больше ограничивает диапазон движений и приводит к еще большему усилению боли и скованности.
Дисплазия тазобедренного сустава может в разной степени поражать одно или оба бедра.
Причины дисплазии тазобедренного сустава у кошек
Дисплазия тазобедренного сустава — наследственное заболевание кошек.Он редко встречается среди домашних кошек (кошек смешанных пород) и чаще встречается у крупных породистых кошек, таких как мейн-кун и гималайский. Дисплазия тазобедренного сустава гораздо чаще встречается у собак, чем у кошек.
Однако некоторые ветеринары считают, что случаи легкой и средней степени тяжести у кошек не диагностируются из-за их естественной способности маскироваться и адаптироваться к болезни. На самом деле дисплазия тазобедренного сустава у кошек может встречаться чаще, чем мы думаем.
Признаки дисплазии тазобедренного сустава у кошек
- Хромота или хромота, которые постепенно ухудшаются
- Проблемы с прыжками
- Непереносимость физических упражнений
- Летаргия и / или раздражительность (из-за боли)
- Скованность и уменьшение диапазона движений одной или обеих задних конечностей
- Потеря мышечной массы в задних конечностях
Кошки обычно не проявляют никаких признаков болезни на ранних стадиях дисплазии тазобедренного сустава.Кошки с легким или средним заболеванием могут никогда не проявлять признаков заболевания. Фактически, ваш ветеринар может обнаружить признаки дисплазии тазобедренного сустава во время обычного осмотра здоровья или во время рентгенографии по другой причине.
По мере прогрессирования последствий дисплазии тазобедренного сустава симптомы часто появляются постепенно и со временем продолжают ухудшаться. Остеоартрит обычно возникает на фоне дисплазии тазобедренного сустава, что еще больше усугубляет боль, воспаление и жесткость.
Признаки дисплазии тазобедренного сустава могут быть похожи на признаки других травм.Если вы заметили у кошки эти или какие-либо другие признаки болезни, обратитесь к ветеринару и запишитесь на прием.
Лечение
Ваш ветеринар диагностирует дисплазию тазобедренного сустава вашей кошки путем тщательного осмотра и рентгенографии. Рекомендации по лечению основаны на серьезности рентгенограмм, а также на симптомах, которые проявляет ваша кошка.
Дисплазия тазобедренного сустава у кошек обычно лечится консервативно. Обычно сюда входят лекарства для снятия боли и воспаления.Ветеринар может также порекомендовать отдых и ограничение физических упражнений. Пищевые добавки или нутрицевтики, такие как глюкозамин и хондроитин, могут помочь замедлить прогрессирование заболевания и уменьшить некоторые симптомы.
Альтернативные методы лечения, такие как акупунктура и традиционная китайская ветеринарная медицина, также могут облегчить боль.
Если консервативного подхода недостаточно, ветеринар расскажет вам о хирургическом лечении вашей кошки.
Самая распространенная операция называется иссечением головки и шейки бедра.Ветеринар удаляет деформированную головку и шейку бедренной кости. Со временем мышцы восстанавливаются и образуют своего рода ложный сустав. После выздоровления большинство кошек продолжат счастливую нормальную жизнь.
В редких случаях можно рассмотреть возможность полной замены тазобедренного сустава. Это предполагает замену тазобедренного сустава специальным синтетическим бедром. Это часто называют микро-THR из-за небольшого размера имплантата.
Как предотвратить дисплазию тазобедренного сустава у кошек
Невозможно предотвратить дисплазию тазобедренного сустава у кошек, но вы можете поймать ее на ранней стадии и замедлить ее прогрессирование.
Обратитесь к ветеринару, когда впервые заметите постоянную хромоту, боль или скованность.
Заводчики кошек могут предотвратить дисплазию тазобедренного сустава у кошек. Кошку с дисплазией тазобедренного сустава следует стерилизовать или кастрировать. Этих кошек нельзя использовать в разведении.
Кошек скрывают признаки дисплазии тазобедренного сустава
[email protected] | Фото депозита
Диагноз дисплазия тазобедренного сустава может застать вас врасплох. Обычно кошка приходит к ветеринару, потому что владелец замечает, что кошка хромает, болит или менее активна, чем обычно.У некоторых кошек с дисплазией тазобедренного сустава походка постоянно нарушается, в то время как другие кошки проявляют скованность только после безумной погони по дому.
И, поскольку кошки являются кошками, некоторые никогда не проявляют явной хромоты, потому что сами ограничивают свою деятельность безболезненными движениями.
Однако у этих кошек вы, вероятно, заметите изменение уровня их активности, например, кошка, которая обычно вскакивает, чтобы проверить вещи на прилавке, оставаясь на полу.
Дисплазия тазобедренного сустава — это не то, о чем мы обычно думаем у кошек.Собаки, да. Однако у кошек также могут быть аномалии тазобедренного сустава и тазобедренный артрит. Как и у собак, проблемы с тазобедренным суставом, как правило, наблюдаются у более крупных пород кошек, таких как мейн-кун. Тем не менее, даже у маленьких гибких кошек, таких как девон-рекс, может развиться дисплазия тазобедренного сустава, как и у домашних короткошерстных.
Что такое дисплазия?
Дисплазия тазобедренного сустава, по-видимому, является многофакторным состоянием, в котором участвуют первичные гены и гены-модификаторы, а также на нее влияют различные факторы окружающей среды.Дисплазия означает ненормальный рост или развитие. Тазобедренный сустав относится к тазобедренному суставу, который представляет собой шарнирное соединение, соединяющее бедро с тазом.
Головка бедренной кости — это «шар», который входит в «впадину» вертлужной впадины таза. В идеале, ваша кошка должна иметь чистую круглую головку бедра и красивую глубокую вертлужную впадину для стабилизации сустава.
Конечно, это соединение не кость с костью. Между костями находится суставной хрящ и суставная жидкость, чтобы уменьшить трение и обеспечить бесперебойную работу сустава.Мышцы также помогают стабилизировать сустав и сводят к минимуму последствия сбоев и деформаций.
При дисплазии тазобедренного сустава вертлужная впадина может быть неглубокой, поэтому она не удерживает головку бедренной кости на месте. Это может быть даже подвывих (смещение) из-за выскальзывания головки бедренной кости из области впадины вертлужной впадины. Сама головка бедренной кости может быть не гладкой и круглой, или может наблюдаться расшатывание суставов, что приводит к повторным небольшим травмам сустава каждый раз, когда ваша кошка двигается. Как правило, у пораженных кошек наблюдается некоторая степень дисплазии на обоих бедрах, хотя с одной стороны она может быть хуже.
Диагноз
Ветеринару может быть сложно диагностировать хромоту у кошки только при физическом осмотре. Тщательный анамнез может помочь. Например, если ваша кошка заблудилась, возможно, когда-то в прошлом ее сбила машина.
В идеале, ветеринар хотел бы видеть, как ваша кошка движется, желательно по прямой. У кошек, конечно, обычно есть свои представления об этом. В ветеринарной клинике они, вероятно, просто сядут на корточки и откажутся двигаться.Итак, ветеринар будет использовать манипуляции с суставами, чтобы найти болезненные участки. Но даже в этом случае некоторые кошки довольно стойкие, особенно в незнакомой обстановке.
И PennHIP, метод радиографического скрининга для оценки тазобедренного сустава, и OFA (Ортопедический фонд для животных) предоставляют протоколы и тесты на дисплазию тазобедренного сустава у кошек на основе существующих протоколов для собак.
Рентгенограммы (т. Е. Рентгеновские снимки) необходимы для оценки костей тазобедренного сустава и обычно требуют седативных средств как для обеспечения взаимодействия кошки, так и для минимизации боли в суставе, пораженном артритом.
Стандартный вид: кошка лежит на спине, а ее задние лапы вытянуты прямо. Этот вид похож на оценочную рентгенограмму, необходимую для подтверждения OFA степени дисплазии бедра. (OFA классифицирует бедра по семи различным категориям: отличное, хорошее, удовлетворительное, пограничное, легкое, умеренное или тяжелое.) Для сертификации PennHIP выполняются дополнительные обзоры, которые учитывают измерения дряблости суставов, а также конформации тазобедренных суставов.
Когда рентгенограммы отправляются в OFA или PennHIP, ветеринарные радиологи проводят измерения и сравнивают рентгенограммы с рентгенограммами нормальных кошек.В идеале рентгенограммы кошки можно сравнить с рентгенограммами кошки той же породы. В настоящее время только кошки мейн-кун имеют достаточно кошек в реестрах, чтобы это сравнение было разумным.
Костный артрит или остеоартрит бедра может быть результатом дисплазии тазобедренного сустава или травмы области сустава. Плохие падения, попадание под машину и даже дополнительные усилия из-за лишнего веса могут способствовать развитию артрита бедра.
В некоторых случаях вашему ветеринару может быть трудно отличить генетические пороки развития тазобедренного сустава от травмы, если сустав сильно поврежден при просмотре на рентгеновских снимках.Тем не менее, одно исследование с участием рандомизированных кошек показало, что 32% случаев артрита тазобедренного сустава совместимы с дисплазией бедра.
Лечение и прогноз
Что делать, если у вашей кошки диагностирована дисплазия тазобедренного сустава? К счастью, из-за меньшего размера тела и хорошей мышечной массы многие кошки с дисплазией тазобедренного сустава никогда не проявляют никаких признаков проблем. Что вам нужно делать, зависит от того, проявляет ли ваша кошка клиническую хромоту или нет. У некоторых кошек на рентгеновских снимках наблюдается дисплазия тазобедренного сустава, но без каких-либо признаков. Для этих кошек вам, возможно, просто нужно внимательно следить и подумать о добавке для суставов, чтобы минимизировать развитие любого артрита.
Следите за весом кошки.
Избыточный вес означает большую нагрузку на суставы. Поощряйте кошку быть активным, но постарайтесь ограничить большие прыжки. Ловкость кошек становится популярным видом спорта (catagility.com), но это не лучший вариант при дисплазии бедра!
Если у вашей кошки частые или постоянные приступы хромоты, ваши возможности несколько ограничены. Могут помочь обезболивающие и противовоспалительные препараты.
Если ваша кошка плохо реагирует на одну комбинацию лекарств, обсудите другие варианты с вашим ветеринаром.Точно так же, как некоторые обезболивающие хорошо работают для одного человека, в то время как кто-то придерживается другого препарата, у кошек могут быть индивидуальные различия в реакции на лекарства.
Некоторым кошкам этих препаратов может хватить. Вы также можете внести изменения в окружающую среду, например переместить туалетный лоток наверх, чтобы кошке не приходилось спускаться в подвал. Хирургическое вмешательство также возможно в некоторых случаях дисплазии тазобедренного сустава (см.
Врезку).
Предотвращение проблем с бедрами — это поддержание вашей кошки в хорошей форме.Избегайте экстремальных упражнений, в том числе больших прыжков, особенно когда ваша кошка еще молода. Поощряйте умеренные упражнения и поддерживайте активность кошки.
Если ваша душа желает получить крупнокостную породу кошек, спросите об оценке бедер у отца и матери помета, который вы рассматриваете. Нормальные родители не гарантируют чистоту бедер, но это дает шанс в вашу пользу. Помните, что многие кошки прекрасно переносят дисплазию тазобедренного сустава и артрит бедра при небольшой помощи хозяев.
АлександрПокусай | Фото депозита
Маленькие кости усложняют операцию
Кошек с тяжелыми и болезненными случаями дисплазии тазобедренного сустава ждут операции.Полная замена тазобедренного сустава может быть сделана, но очень редко. Кости кошек маленькие и несколько хрупкие, поэтому они не всегда хорошо удерживают имплантаты.
«Вы можете просто удалить головку бедра — шарнирную часть шарнирно-шарнирного сустава бедра — и не заменять ее», — говорит Урсула Кротчек, DVM, DACVS, доцент Корнельского колледжа ветеринарной медицины и начальник отдела Секция хирургии мелких животных.
«Мышцы, которые обычно удерживают эти компоненты бедра, будут продолжать выполнять свою работу, но без болезненного контакта кости с костью.
«Хотя у кошки может быть механическая хромота, а пораженная конечность может стать немного короче после операции, нога обычно будет иметь почти нормальный диапазон движений и отличную функцию. Обычно животное может сидеть, бегать, прыгать и вести себя как кошка ».
Кошкам, перенесшим операцию, потребуется отдых, а затем послеоперационная реабилитация. Многие кошки возвращаются к нормальной жизни.
Дисплазия тазобедренного сустава | Колледж ветеринарной медицины Корнельского университета
Среди различных физических расстройств, которые могут поставить под угрозу способность кошки свободно передвигаться по окружающей среде, есть болезненное ортопедическое заболевание, называемое дисплазией тазобедренного сустава (от греческого слова «порок развития»).По сравнению с тем, что встречается у собак и людей, это состояние редко встречается у кошек.
Но владельцы кошек, тем не менее, должны знать о ее клинических признаках и о том, как можно справиться с инвалидностью, если она возникнет.
Заболевание представляет собой генетически унаследованный порок шаровидного сустава, который соединяет бедренную кость (бедро) кошки с ее бедром. В данном случае «шар» — это узловатый верхний конец (головка бедренной кости) бедренной кости, а «гнездо» — чашеобразная полость (вертлужная впадина), расположенная на нижнем конце бедренной кости.У нормально сформированного животного головка бедренной кости, плотно прилегая к вертлужной впадине, достаточно свободна, чтобы скользить и частично вращаться, позволяя кошке лечь, вставать, лазить по деревьям, преследовать мышей и так далее.
У кошки с дисплазией тазобедренного сустава мяч и впадина смещены и болтаются, что мешает плавному движению головки бедренной кости. Этот частичный вывих, называемый подвывихом, заставляет головку бедренной кости и вертлужную впадину стучать друг о друга.
Со временем постоянный износ приводит к тому, что вертлужная впадина становится мелкой, а головка бедренной кости изнашивается, сплющивается и деформируется, что приводит к недееспособности всего сустава.Кроме того, постоянная травма, вероятно, в конечном итоге приведет к развитию остеоартрита, состояния, характеризующегося постепенным разрушением хряща, эластичной ткани, которая обычно служит амортизатором для концов кости.
Конкретная причина дисплазии тазобедренного сустава у кошек не установлена, хотя широко распространено мнение, что это заболевание имеет генетический компонент, поскольку, по-видимому, оно более распространено у некоторых пород, таких как мейн-куны. Другие факторы, по-видимому, играют причинную роль в развитии инвалидности; считается, например, что ожирение значительно увеличивает давление на поддерживающие конструкции бедра и, следовательно, может способствовать чрезмерному износу сустава.На данный момент, однако, ветеринары в целом согласны с тем, что единственный способ предотвратить дисплазию тазобедренного сустава — это избегать разведения кошек, которые, как считается, генетически предрасположены к этому заболеванию.
Клинические признаки дисплазии тазобедренного сустава у кошек включают хромоту или другие очевидные трудности при ходьбе, избегание физической активности, проявление боли при прикосновении к бедру и постоянное облизывание или жевание в области бедра. Окончательный диагноз может быть поставлен с помощью рентгеновского снимка явно болезненного тазобедренного сустава.
Когда дело доходит до профилактики или лечения дисплазии тазобедренного сустава у кошек, возможности ограничены. «Убедитесь, что у вашей кошки нет лишнего веса, — советует Урсула Кротчек, доктор медицинских наук, доцент кафедры хирургии мелких животных Колледжа ветеринарной медицины Корнельского университета, — и поощряйте упражнения, чтобы поддерживать мышцы бедра сильными. Попытайтесь заставить животное запрыгнуть на стойку, например, за едой, или спрячьте еду под диваном, чтобы ему пришлось присесть, чтобы ее найти ». Кроме того, по ее словам, ветеринар может порекомендовать использование определенных противовоспалительных препаратов, а также диетических добавок, содержащих глюкозамин и хондроитин, соединения, которые могут помочь поддерживать прочность соединительных тканей животного.
Также доступны хирургические варианты лечения запущенных случаев дисплазии тазобедренного сустава. Одним из вариантов, например, является так называемая микротальная замена тазобедренного сустава, при которой тазобедренный сустав удаляется и заменяется искусственным устройством. Или, как указывает д-р Кротчек: «Вы можете просто удалить головку бедренной кости — шаровидную часть шарнирного сочленения бедра — и не заменять ее. Мышцы, которые обычно удерживают эти компоненты бедра, будут продолжать выполнять свою работу, но без болезненного контакта кости с костью.Хотя кошка может иметь механическую хромоту, а пораженная конечность может стать немного короче после операции, нога будет иметь почти нормальный диапазон движений и отличное функционирование. Животное сможет сидеть, бегать, прыгать и вести себя как кошка ».
Дисплазия тазобедренного сустава | Международный уход за кошками
Дисплазия тазобедренного сустава — это нарушение развития тазобедренного (тазобедренного) сустава (суставов).
Если эти суставы не формируются должным образом, это может привести к повышенной расслабленности и ненормальному движению сустава, и со временем это может привести к развитию дегенерации сустава и болезненному остеоартриту.
Дисплазия тазобедренного сустава обычно распознается у некоторых пород собак и, как известно, имеет сильный наследственный компонент (но не вызвана простым дефектом одного гена). Дисплазия тазобедренного сустава также встречается у кошек, хотя у этого вида о проблеме известно меньше.
Какие кошки страдают дисплазией тазобедренного сустава?
Предполагается, что, как и у собак, дисплазия тазобедренного сустава у кошек является результатом сочетания генетических (вероятно, задействовано несколько генов), а также факторов окружающей среды, питания и образа жизни.У некоторых кошек дисплазия тазобедренного сустава не вызывает каких-либо явных заболеваний, но у других, особенно при более серьезном поражении, со временем может развиться значительный и болезненный артрит.
У некоторых кошек дисплазия тазобедренного сустава наблюдается вместе с вывихом надколенника (когда «коленные чашечки» соскальзывают с места).
Дисплазия тазобедренного сустава встречается у кошек любой породы, но чаще встречается у:
Другие породы также могут быть предрасположены, включая сиамских, бенгальских, девон-рексов и абиссинских кошек.
Борьба с дисплазией тазобедренного сустава
К сожалению, поскольку это не простое генетическое заболевание, генетический тест для выявления кошек из группы риска недоступен.Тем не менее, для оценки конформации тазобедренных суставов и степени их слабости можно сделать рентген, и это рекомендуется для пород со значительным риском, прежде чем кошек будут использовать в программе разведения.
Спасибо, что посетили наш сайт, мы надеемся, что наша информация оказалась для вас полезной.
Все наши советы доступны каждому, где бы вы ни находились.
Однако, как благотворительная организация, нам нужна ваша поддержка, чтобы мы могли продолжать предоставлять высококачественную и актуальную информацию для всех. Пожалуйста, рассмотрите возможность внесения большого или небольшого вклада, чтобы наш контент оставался бесплатным, точным и актуальным.
Support International Cat Care всего от 3 фунтов стерлингов
Спасибо.
Пожертвовать сейчасДисплазия тазобедренного сустава у собак и кошек
Дисплазия тазобедренного сустава — врожденное заболевание, поражающее в основном собак крупных пород, хотя оно может быть у любой породы, и даже у кошек могут быть проблемы с тазобедренными суставами.
Дисплазия тазобедренного сустава — это слабость в носке тазобедренного сустава, где головка бедренной кости входит в таз. Это вызывает слабость и хромоту в задней части тела и, в конечном итоге, приводит к болезненному артриту.
Этот артрит носит несколько названий; дегенеративные заболевания суставов, артрозы, остеоартрозы.
Классификация
Существует организация под названием Ортопедический фонд для животных (OFA), которая изучила это заболевание и имеет большую базу данных.Они удостоверят, что у собаки нет дисплазии тазобедренного сустава в возрасте двух лет. Этот стандарт ухода стал благом для снижения заболеваемости, особенно для заводчиков.
Группа OFA состоит из 25 сертифицированных радиологов, которые оценивают бедра собак на основе определенного набора рентгенограмм. OFA имеет 7 различных категорий на основе рентгеновского снимка бедер собаки:
- Отлично
- Хорошо
- Ярмарка
- Граница
- мягкий
- Умеренная
- тяжелое
Причина
Многие факторы работают вместе, чтобы вызвать это заболевание, которое является комбинацией генетической предрасположенности собаки к этой болезни, и взаимодействием с факторами окружающей среды, которые вызывают симптомы.
Эти факторы окружающей среды — избыток кальция в рационе щенков крупных пород собак, а также ожирение, рацион с высоким содержанием белка и калорий, а также недостаток или слишком много физических упражнений.
Корм для собак крупных пород специально разработан, чтобы не стимулировать чрезмерный рост костей. Это позволяет костям расти, не повреждая пластинки роста.
Разведение собак, у которых уже есть дисплазия тазобедренного сустава, является одной из основных причин, по которой болезнь все еще присутствует. Собака с дисплазией тазобедренного сустава в одной лунке склонна к проблемам со связками колена другой ноги (передний крестообразный разрыв).
Иногда причиной может быть травма хряща.
Патофизиология
Во время дегенеративного процесса повреждается хрящ, выстилающий тазобедренный сустав, называемый гиалиновым хрящом. Повреждение происходит в результате ненормального воздействия на хрящ деформированного тазобедренного сустава. Небольшие переломы также могут возникать в хрящах.
В конце концов, высвобождается фермент, который еще больше разрушает сустав и снижает синтез важного средства защиты суставов, называемого протеогликанами.Хрящ становится тоньше и жестче, что еще больше снижает его способность справляться с ежедневными нагрузками и нагрузкой.
По мере того, как проблема прогрессирует, высвобождается все больше ферментов, которые теперь влияют на предшественников протеогликанов, молекул, называемых гликозаминогликанами и гиалуронатом. Смазка незначительна, возникает воспаление, и суставная жидкость больше не может питать гиалиновый хрящ. Этот порочный круг продолжается до тех пор, пока не возникает боль. Организм пытается уменьшить эту боль, стабилизируя тазобедренный сустав.
Новая кость откладывается в суставе, как внутри, так и снаружи, вместе с некоторыми связками и мышцами, прикрепленными к этой области. Это вызывает утолщение и уменьшение диапазона движений. Это настоящий артрит, отмеченный на рентгенограмме, который не исчезнет и будет прогрессировать.
Симптомы
Они варьируются от легкой до тяжелой, в зависимости от возраста и размера вашей собаки, а также от степени дисплазии тазобедренного сустава. Вот некоторые симптомы, на которые следует обратить внимание:
Медленное вставание после отдыха или сна
Нежелание или медленное движение вверх по лестнице.
Прыгающая походка задними ногами
Жесткость при движении
Невозможность совершить длительную прогулку
Остановка во время прогулки и даже сидение во время прогулки
Слабость в задней части тела
Дискомфорт или боль при прикосновении к задней части тела
Хромота или хромота на одну ногу
Учтите, что собаки крупных пород стойкие. Из-за их склонности доставить вам удовольствие, эти собаки прекрасно видят снаружи, но болезненны внутри.Важно следить за незаметными признаками.
Породные предрасположенности
У многих собак может развиться дисплазия тазобедренного сустава.
Собаки, которые часто болели много лет назад, такие как немецкие овчарки и лабрадоры, все еще болеют этим заболеванием, но не так часто, как раньше.
По данным OFA, наиболее распространенными породами являются:
| Бульдог | Мопс | Оттерхунд | Кламбер-спаниель |
| Неаполитанский мастиф | ул.Бернар | Бойкин-спаниель | Суссекс-спаниель |
| Американский бульдог | Ньюфаундленд | Американский стаффордширский терьер | Бладхаунд |
| Бульмастиф | Ретривер Чесапикского залива | Золотистый ретривер | Сеттер Гордон |
| Ротвейлер | Чау-чау | Староанглийская овчарка | Кувас |
| Норвежский элкхаунд | Ризеншнауцер | Немецкая овчарка | Бернский зенненхунд |
| Английский сеттер | Черно-подпалый енотовидный пес | Ши-тцу | Стаффордширский терьер |
| Вельш-корги | Бигль | Бриар | Бретань |
| Бувье-де-Фландр | Вельш-спрингер-спаниель | Кудрявый ретривер | Польская низинная овчарка |
| Португальская водяная собака | Английский спрингер-спаниель | Пудель Пойнтер | Ирландский водяной спаниель |
Диагностика
Дисплазия бедра диагностируется на основании в анамнезе слабости или хромоты задних ног, особенно после физических упражнений или при первом подъеме после отдыха.
Некоторые молодые собаки могут прыгать, когда бегают, и могут лечь на живот, вытянув ноги за спиной. У некоторых собак, находящихся под наркозом, можно пальпировать слабость суставов (мы называем это признаком Ортолани). Иногда мы чувствуем скрежетание, называемое крепитацией, в тазобедренном суставе, когда мы перемещаем ногу вокруг глазницы.
На степень хромоты влияет множество переменных. Они включают возраст начала, калорийность, степень физической активности и погоду. Еще больше усложняет ситуацию то, что домашние животные с ужасно выглядящими бедрами на рентгенограммах могут вести себя так, как будто все в порядке, в то время как другие животные с едва заметными изменениями на рентгенограммах могут быть сильно хромыми.
Рентгенография
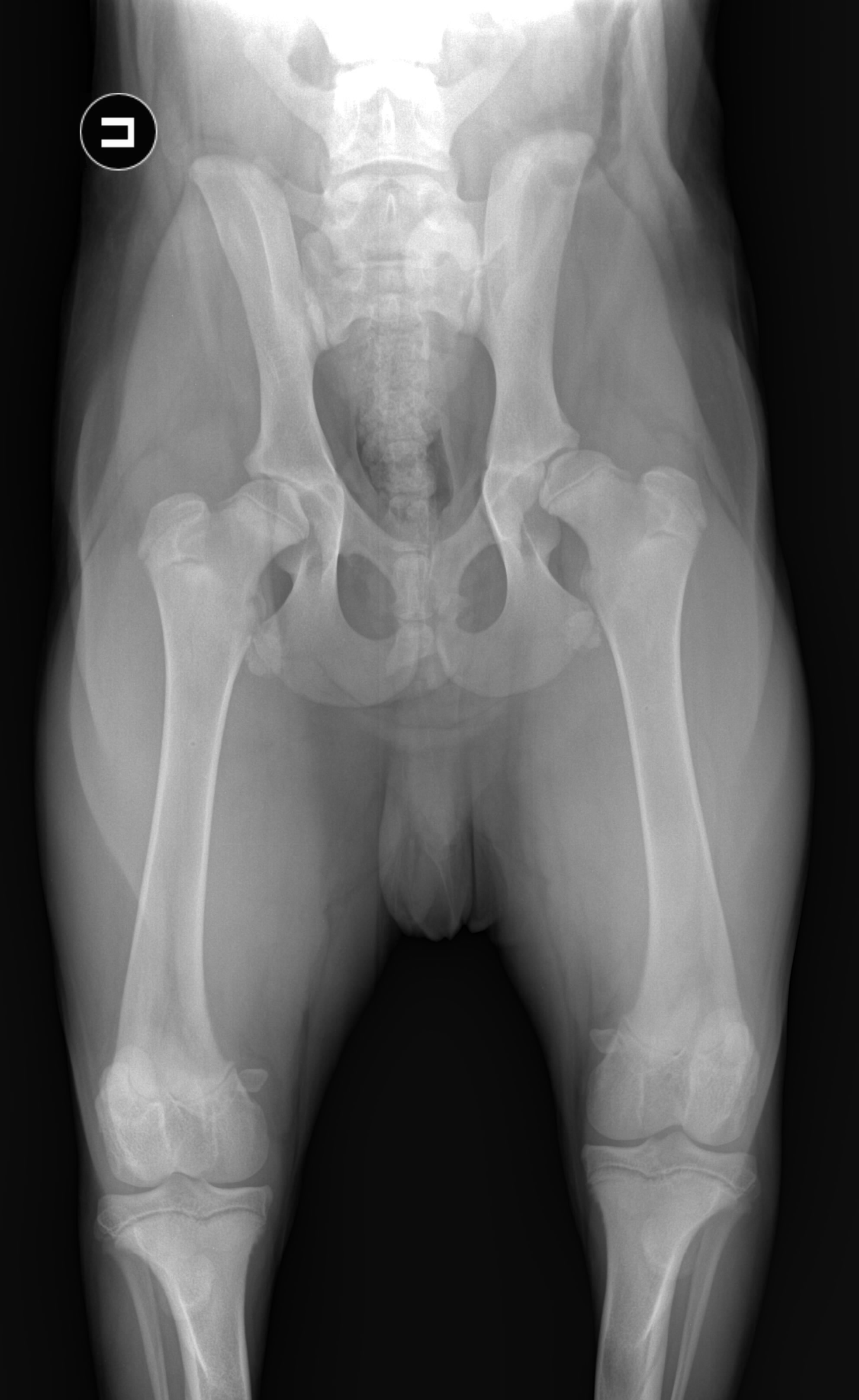
Рентгенография (рентген) — это окончательный способ диагностики этого заболевания. Однако это не идеально, поскольку на рентгенограмме собака может не иметь дисплазии тазобедренного сустава (фенотип), но может быть генетически предрасположена к заболеванию (генотип).
Эти собаки потенциально могут быть переносчиками болезни, но сами по себе не проявляют никаких симптомов.
Для постановки диагноза таз должен быть выровнен, а ноги выпрямлены. Это можно сделать только тогда, когда собака или кошка находятся под действием седативных препаратов.Берем два вида таза:
- VD (вентродорсальный) — на этом виде ваша собака лежит на спине, когда мы делаем рентгенограмму таза
- Боковой — на этом виде ваша собака лежит на боку
Ваша собака должна быть зрелой, чтобы точно диагностировать дисплазию тазобедренного сустава. Если он слишком молодой, пластинки роста еще не полностью сформированы.
Это рентгенограммы таза трехмесячного щенка с явными пластинами роста. Разрывы в кости — это хрящи, которые не видны на рентгенограмме.
В возрасте 6 месяцев вы все еще можете видеть пластинки роста, но еще слишком рано ставить диагноз дисплазии тазобедренного сустава
Рентгенограммы таза взрослой собаки с нормальными тазобедренными суставами, сравните их с приведенной ниже собакой с дисплазией тазобедренного сустава
У этой собаки умеренные изменения, указывающие на дисплазию бедра с обеих сторон.
Гнезда не такие закругленные, как должны быть, а головка бедренной кости немного приплюснута.
У этой собаки дисплазия тазобедренного сустава в правом тазобедренном суставе (см. Маркер R справа)
Это тяжелый случай двусторонней дисплазии тазобедренного сустава
Это тяжелая дисплазия тазобедренного сустава
Собаки — не единственный вид, у которого наблюдается дисплазия тазобедренного сустава. Это также может произойти у кошек, хотя и не так часто, как у собак. Мейн-куны — это порода кошек, которая чаще всего поражается.
Пожилая кошка с дисплазией тазобедренного сустава
Белыми стрелками обозначено большое количество стула в толстой кишке указанной кошки с дисплазией тазобедренного сустава. Этой кошке больно сидеть на корточках, чтобы опорожнить кишечник, в результате чего у нее сильно запор.
Другие болезни, вызывающие хромоту или болезненность задних ног, могут имитировать дисплазию тазобедренного сустава.
К ним относятся разрыв краниальной крестообразной связки колена, болезнь интравертебрального диска (МПД), паностит и дегенеративное заболевание спинного мозга, называемое дегенеративной миелопатией, заболевание, которое встречается у немецких овчарок.
Лечение
В некоторых случаях может помочь медикаментозная терапия. Это зависит от размера вашей собаки, ее функций в вашем доме, возраста и серьезности проблемы. Возможно, вам придется попробовать несколько процедур, пока не найдете то, что работает. Многие из этих методов лечения необходимо использовать в сочетании с другими методами лечения.
Медикаментозная терапия не решит проблему, и в большинстве случаев возникает болезненный артрит. Раннее хирургическое вмешательство обычно является лучшим курсом действий.Нередко проводится рентгенография таза вашей собаки, когда она уже находится под анестезией для стерилизации (OVH или овариогистерэктомия) или стерилизации.
Плавание в бассейне, если вашей собаке это комфортно, может принести пользу.
Также полезна гидротерапия в ванне под наблюдением ветеринара, сертифицированного в области реабилитационной медицины.
Немедикаментозный
Иглоукалывание, лазерная терапия и ВНА — отличные варианты лечения во многих случаях, потому что они эффективны без использования лекарств.На нашей странице альтернативной медицины есть подробная информация.
Могут помочь легкие пассивные упражнения на диапазон движений. Также рекомендуется употребление пищи J / D (совместная диета). Существует также версия J / D под названием Metabolic and Mobility, которая снижает вес у собак с ожирением, а также обеспечивает лечение артрита. Он содержит дополнительное количество омега-3 жирных кислот, которые могут помочь уменьшить воспаление суставов. Один из этих кормов следует сначала попробовать всем собакам с дисплазией тазобедренного сустава.
Дополнительный метод лечения, который дал большой успех в лечении дисплазии тазобедренного сустава, называется ВНА.Это неинвазивный и безболезненный способ стимуляции нервной системы, помогающий избавиться от синдрома дисплазии тазобедренного сустава.
Используется как
Эта 18-летняя собака лечилась VNA в течение многих лет, и у нее все отлично
Наркотики
Многие лекарства использовались для снятия боли, связанной с вторичным артритом, который возникает при дисплазии тазобедренного сустава. Некоторые из этих препаратов чрезвычайно эффективны и могут облегчить боль собаке.Однако они лишь маскируют симптомы и не решают проблему.
Буферный аспирин и ascriptin® (аспирин с маалоксом) легко доступны без рецепта. Тайленол не следует применять у собак из-за его потенциальных побочных эффектов. Тайленол НИКОГДА не применяют у кошек, потому что он может вызвать серьезное заболевание, называемое метгемоглобинемией.
НПВП (нестероидные противовоспалительные препараты) являются высокоэффективными лекарствами, отпускаемыми по рецепту. Работа за счет подавления высвобождения простагландинов, что снижает воспаление в суставах.
Их следует давать перед любым упражнением. Некоторые собаки вызывают рвоту или диарею от этих лекарств. Прием лекарства на полный желудок и использование защитных средств GI, таких как Pepcid AC, могут свести к минимуму эту проблему.
Их использование у лабрадоров следует тщательно контролировать на предмет признаков проблем с печенью. Любая собака, которая принимает эти препараты в течение длительного времени, должна пройти анализ крови для контроля функции внутренних органов, особенно почек и печени.
Нутрицевтики — популярные лекарства от артрита, прежде всего потому, что они считаются более естественными, чем лекарства.Гуманоиды используют их обычно. Они предоставляют сырье, которое усиливает синтез гликозаминогликана и гиалуроната. Отсутствуют контролируемые исследования для определения их истинной эффективности. Устные версии вступят в силу не менее чем через месяц. Большим преимуществом является отсутствие побочных эффектов. Пероральные версии включают Cosequin®, Synovicar®e, Glycoflex®, arthramine® и MaxFlex®.
Их эффект варьируется от нуля до значительного улучшения. Они не причинят вреда, поэтому их стоит попробовать.Просто объективно оценивайте их способность помочь только потому, что они более естественны, чем наркотики.
Во многих случаях помогает инъекция препарата Адекван®. Это одобренный FDA препарат для лечения заболеваний. Он содержит полисульфатный гликозаминогликан, который подавляет ферменты в суставах, вызывающие воспаление. Он вводится в виде инъекции, до двух раз в неделю, и прекращается после 8 процедур.
Мы не можем предсказать, какие лекарства подействуют лучше всего в конкретном случае.Испытание разных подходов, даже использование некоторых из них в комбинации, может позволить вам определить, какой из подходов лучше всего подходит для вашей собаки.
Хирургическое лечение
В большинстве случаев дисплазия тазобедренного сустава, особенно у молодых собак, лечат хирургическим путем. Один из хирургических специалистов, с которыми мы проконсультируемся, определит, какая процедура является наиболее подходящей.
Выполняются три основных типа операций:
- Остэктомия головки бедренной кости (FHO) или эксцизионная артропластика
- Тройная остеотомия таза (ТПО)
- Полная замена бедра (THR)
1. Остэктомия головки бедренной кости (FHO) или эксцизионная артропластика
При этой процедуре удаляется головка (или шар) бедренной кости. Оставшаяся часть бедренной кости образует ложный сустав с мышцами, связками и сухожилиями в этой области. Несмотря на то, что этот ложный сустав не так хорош, как настоящий сустав, боль значительно уменьшается.
Эту процедуру можно пройти для собак практически любого размера, хотя она намного эффективнее для собак меньшего размера. Собаки с ожирением и собаки со значительной потерей мышечной массы тоже не справляются.По сравнению с другими типами хирургических вмешательств эта операция гораздо проще, но многие животные, перенесшие эту операцию, возвращаются к почти нормальному функционированию.
Это бедра Микки, очень активной австралийской овчарки. У него дисплазия бедра с обеих сторон. Операция FHO будет выполнена на его правом бедре.
После разреза кожи мышцы разделяются, чтобы визуализировать головку бедренной кости. Его аккуратно поворачивают и поднимают как можно дальше.
Специальная пневматическая дрель используется для разреза шейки бедра под прямым углом
Угол в разрезе шейки бедра очевиден. Также на головке этой бедренной кости присутствует кусок круглой связки, одной из структур, которая фиксирует головку бедренной кости в лунке.
На месте головки бедренной кости остается отверстие.Оставшаяся кость сформирует ложный сустав и вернет этому питомцу почти 100% функцию.
Мышцы, которые были отделены и разрезаны, теперь тщательно зашиты.
Эти мышцы необходимы для нормального движения ложного сустава, который вскоре сформируется.
Это то, что осталось после операции. По словам обеспокоенной мамы, Микки быстро зажил после операции и бегает так же быстро, как и раньше.
Мы также делаем процедуру FHO при переломе шейки бедренной кости. По этой ссылке есть подробные фотографии операции. Нажмите на фото ниже, чтобы увидеть, как мы сделали операцию FHO этой собаке с переломом таза и шейки бедра.
2. Тройная остеотомия таза (ТПО)
Эта операция применяется у собак крупных пород не старше 10 месяцев. Кандидаты на эту операцию могут иметь только легкую дисплазию тазобедренного сустава и отсутствие признаков вторичного артрита.Во время процедуры таз разрезается и слегка поворачивается, чтобы головка бедренной кости плотнее вошла в гнездо. Поскольку таз разрезается, его необходимо стабилизировать костными пластинами.
Таз разрезан в 3 местах.
Расположение этих разрезов обеспечивает правильное вращение бедер.
Это окончательный результат после операции TPO. Эти две пластины расположены под углом, чтобы обеспечить правильное вращение таза.
3.Полная замена бедра (THR)
При этой процедуре шейка и головка бедра заменяются имплантатами из нержавеющей стали или титана. Это узкоспециализированная процедура, которую проводят только избранные ветеринары. Он используется у молодых собак, которые достигли большей части своего скелетного роста, и у взрослых собак, которые весят не менее 40 фунтов.
Его можно использовать у собак, у которых уже есть вторичный артрит, в отличие от TPO. Он имеет высокий процент успеха, но его следует выполнять осторожно, потому что в случае возникновения послеоперационных осложнений их трудно контролировать.
Это конечный результат операции. Эти имплантаты теперь составляют шаровидное соединение и будут оставаться полностью функциональными в течение многих лет.
Профилактика
Это достигается путем стерилизации домашних животных, больных заболеванием. Собаки могут быть проверены на эту проблему, сделав рентгеновские снимки бедер в возрасте 2 лет. Если они сертифицированы Ортопедическим фондом Америки (OFA) как свободные от дисплазии тазобедренного сустава, вероятность того, что у них родится потомство с этой проблемой, гораздо меньше.
Лучше покупать собак крупных пород, только если их родители сертифицированы OFA для защиты от дисплазии тазобедренного сустава.
При разведении собак без дисплазии тазобедренного сустава рентгенологически не может быть никаких гарантий, что у их потомства не разовьется болезнь. На рентгенограмме у собаки может отсутствовать дисплазия тазобедренного сустава, но при этом сохраняться генетическая предрасположенность к этой болезни, которая передается ее потомству.
Вернуться на страницу собачьих болезней.
Дисплазия тазобедренного сустава — обзор
Дисплазия тазобедренного сустава
Дисплазия тазобедренного сустава — аномальное развитие тазобедренных суставов.
Дисплазия тазобедренного сустава встречается в основном у крупных собак, но также встречается у маленьких собак и кошек. Состояние обычно двустороннее, но может быть асимметричным.
Дисплазия тазобедренного сустава — наследственное заболевание. Оценки наследуемости варьируются от 0,2 до 0,6. Благодаря использованию более чувствительной рентгенологической интерпретации и новых методов визуализации тазобедренных суставов оценка наследуемости немецких овчарок была увеличена с 0,46% до 61%. 25 Факторы окружающей среды влияют на фенотипическое проявление дисплазии тазобедренного сустава.Переедание является одним из основных негенетических факторов, влияющих на проявление дисплазии тазобедренного сустава у собак. 26 Дисплазия тазобедренного сустава — это нарушение развития, связанное с возрастом; и фенотипические проявления отсутствуют при рождении. Прежде чем проявятся рентгенологические изменения, должно пройти разное время. Будучи присутствующими, эти рентгенологические изменения обычно прогрессируют с возрастом.
Самыми ранними распознаваемыми изменениями тазобедренных суставов являются сочетание эрозии перифовеального хряща, гипертрофии круглой связки головки бедренной кости, синовиального выпота и синовита. 27 Эти изменения не могут быть идентифицированы рентгенологически, но наиболее точный ключ к их наличию может быть получен путем исследования признаков слабости суставов, которая, по-видимому, вызвана синовиальным выпотом. Слабость суставов можно пальпировать и визуализировать рентгенологически (рис. 21.26 и 21.27). 28,29 Последующие рентгенологические изменения — это изменения дегенеративного заболевания суставов (рис. 21.28), проявляющиеся в виде (1) образования перихондрального остеофита, (2) ремоделирования головки и шейки бедренной кости, (3) ремоделирования вертлужной впадины и (4) ) повышенное помутнение субхондральной кости головки бедренной кости и вертлужной впадины.Линия энтезофитов на каудальной стороне шейки бедра, названная линией Моргана, , была описана как ранний признак тазобедренного дегенеративного заболевания суставов (рис.
21.29). 30 По мере развития дегенеративного процесса шейка бедренной кости утолщается, а поверхность шейки становится неровной в результате разрастания воротничка перихондральных остеофитов. Вертлужная впадина теряет чашевидную форму и становится мельче. Повышенная непрозрачность субхондральных суставных поверхностей представляет собой склероз кости, который является ответом на истончение хряща.Образование субхондральной кисты — нечастое проявление дегенеративного заболевания суставов у мелких животных, но иногда может наблюдаться.
Частота дисплазии тазобедренного сустава у домашних короткошерстных кошек, согласно стандартной рентгенографии тазобедренного сустава, оценивается в 6,6%. 31 Заболеваемость выше у чистокровных кошек (12,3%), у некоторых пород, таких как кошка мейн-кун, заболеваемость составляет от 18% до 21%. 31 Когда пассивная слабость тазобедренного сустава оценивается с помощью рентгенографии стресса, общая частота дисплазии тазобедренного сустава у кошек может достигать 32%.Распространенность дисплазии тазобедренного сустава у кошек ниже, чем у собак.
Рентгенологические критерии для диагностики дисплазии тазобедренного сустава у кошек включают наличие признаков тазобедренного подвывиха (рис. 21.30), образование энтезофитов на краях вертлужной впадины, а также ремоделирующие и дегенеративные изменения головки и шеи бедренной кости (рис. 21.31). В отличие от дисплазии тазобедренного сустава у собак, большинство дегенеративных изменений у кошек проявляются на краниодорсальных краях вертлужной впадины, с низкой частотой дегенеративного ремоделирования на головке и шее бедренной кости.
Методы оценки тазобедренных суставов можно разделить на те, которые заранее определяют слабость суставов, и те, которые исследуют радиографические признаки дегенеративного заболевания суставов. Программы фенотипического скрининга, используемые на международном уровне, попадают в последнюю группу и полагаются на оценку расширенной вентродорсальной рентгенографической проекции (рис. 21.32A), хотя эта проекция является нечувствительным индикатором слабости тазобедренного сустава. Чтобы достоверно определить слабость тазобедренного сустава, используется напряженная вентродорсальная проекция.Когда бедренные кости находятся в отвлеченном положении (см. Рис. 21.32B), тазобедренная слабость может быть определена количественно, а рассчитанный индекс расслабленности (т. Е. Индекс отвлечения) используется для ранжирования отдельных собак в пределах их породы с точки зрения плотности или расслабленности тазобедренного сустава. 32 Индекс отвлечения внимания (DI) также является полезным индикатором вероятности будущих дегенеративных изменений тазобедренного сустава. Эту информацию можно получить в гораздо более раннем возрасте с помощью дистракционной рентгенографии, чем с помощью стандартной расширенной вентродорсальной проекции.Оценка слабости тазобедренного сустава является важным компонентом полной рентгенологической оценки тазобедренных суставов.
Многие программы скрининга требуют, чтобы расширенная вентродорсальная рентгенограмма тазобедренных суставов была сделана и отправлена на оценку. Метод получения протяженной проекции бедра, как того требует, например, Ортопедический фонд для животных (OFA), аналогичен проекциям, используемым другими международными программами скрининга. У собаки в положении лежа на спине задние конечности вытянуты, бедра параллельны, а коленные суставы повернуты внутрь, так что надколенники расположены над серединой краниальной поверхности дистального отдела бедренной кости.Луч рентгеновского излучения должен быть сосредоточен над тазобедренными суставами, а рентгенограмма должна охватывать весь таз и бедренные кости. На рентгенограмме таз должен казаться симметричным без признаков вращения (см. Рис. 21.30A и 21.32). Неспособность обезболить пациента может снизить рентгенологическую чувствительность для выявления признаков слабости тазобедренного сустава. Поскольку расширенная вентродорсальная проекция является нечувствительным методом обнаружения признаков тазобедренного подвывиха, необходимо соблюдать осторожность, чтобы обеспечить точное позиционирование объекта и удовлетворительное качество рентгенографии.
Метод PennHIP 21,22,32 также требует, чтобы собака находилась в положении лежа на спине. Бедренные кости размещены в нейтральном положении, чтобы дублировать стояние. Это нейтральное положение позволяет избежать спирального натяжения суставной капсулы, которое заставляет головку бедренной кости попасть в вертлужную впадину и искусственно уменьшает подвывих, что является существенным недостатком вытянутой проекции бедра. Задние конечности удерживаются с нейтральным положением бедренных костей, и делается рентгенограмма, когда тазобедренные суставы сжимаются, чтобы получить изображение тазобедренных суставов в их наиболее конгруэнтном положении.Затем между бедрами помещается отвлекающее устройство для второй рентгенограммы (рис. 21.33). Когда бедренные кости прижимаются к стержням дистрактора, который действует как точка опоры, латеральная сила передается на проксимальный отдел бедра, и любая слабость приводит к подвывиху, который можно визуализировать рентгенологически. Сравниваются два вида тазобедренных суставов, и любая слабость тазобедренного сустава количественно оценивается безразмерной мерой, DI. Расширенный выступ бедра также сделан так, чтобы можно было оценить вторичные признаки дисплазии тазобедренного сустава, такие как дегенеративное заболевание суставов (рис.21,34).
Метод PennHIP имеет неотъемлемые преимущества по сравнению с методом расширенного тазобедренного сустава для оценки тазобедренных суставов (вставка 21.5). Во-первых, он позволяет количественно оценить слабость суставов, которая обычно считается началом цепочки событий, кульминацией которых является дегенеративное заболевание тазобедренных суставов. Во-вторых, обследование можно проводить на молодых собаках. Прогностическая ценность DI остается постоянной после 6-месячного возраста, что дает заводчикам ценную информацию при выборе их поголовья в раннем возрасте.В-третьих, методика предсказывает DI, ниже которого дегенеративные изменения маловероятны. И наоборот, DI и последующее развитие дегенеративного заболевания суставов имеют прямую связь, когда DI больше 0,3 (для немецких овчарок) или 0,4 (для лабрадоров и ротвейлеров).
Новые знания и новые методы лечения дисплазии тазобедренного сустава у кошек
В документе описаны причины и новые методы лечения дисплазии тазобедренного сустава у кошек
Обычно владельцу нетрудно заметить, когда у его собаки развивается дисплазия тазобедренного сустава или остеоартрит.Когда собака начинает хромать, тяжело дышать или отказывается играть, владельцы понимают, что это проблема. Однако от кошек обычно не ждут, что они будут играть в мяч или гулять со своими товарищами-людьми, и их медицинское состояние может быть не таким очевидным.
В новой статье из Университета штата Мичиган исследуются потенциальные причины дисплазии тазобедренного сустава у кошек и описываются методы лечения этого состояния, избавление наших кошачьих друзей от боли и, возможно, спасение их жизней.
Частота дисплазии тазобедренного сустава у домашних короткошерстных кошек низкая, чуть более 5 процентов, но достигает 20 процентов у чистокровных кошек.Скорее всего, пострадают мейн-кун, персидские и гималайские породы.
«Высокий уровень заболеваемости у некоторых пород может быть вторичным по отношению к большему размеру тела этих пород», — сказала автор доктор Карен Перри, специалист по ортопедии с особым интересом к кошкам и доцент Ветеринарного медицинского центра МГУ. . «Это также может быть результатом более узкого генофонда — дисплазия тазобедренного сустава признана наследственным заболеванием у ряда видов».
Клинические признаки дисплазии тазобедренного сустава у кошек обычно развиваются постепенно.Чтобы заметить признаки боли, может пройти некоторое время, поскольку кошка становится менее активной, ей становится все труднее прыгать и подниматься по лестнице, или она перестает приседать во время использования туалетного лотка.
Неослабленная хроническая боль может способствовать поведенческим проблемам. Кошка, у которой развиваются физические ограничения и боль, может стать возбужденной или агрессивной и разрушить связь человека и животного. В конечном итоге это может привести к сдаче или даже к эвтаназии и, таким образом, становится проблемой благополучия.
«Важно избавиться от боли у кошек», — сказал Перри. «Как и у людей, дисплазия тазобедренного сустава у кошек является значительным фактором риска развития остеоартрита. Нет сомнений в том, что кошки с дисплазией тазобедренного сустава и сопутствующим остеоартритом страдают от боли, и это требует соответствующей терапии ».
«Кошки — это не просто маленькие собачки».
— Карен Перри
Ученые не уверены, как развивается дисплазия тазобедренного сустава у кошек.У людей и собак о заболевании свидетельствует ослабление бедер во время рождения. Собаки, у которых развивается дисплазия тазобедренного сустава, обычно рождаются с нормальной структурой костей, но в первые несколько месяцев жизни происходят изменения, которые затем приводят к аномальному развитию суставов, остеоартриту, а иногда и вывиху бедра.
Существует несколько проблем при диагностике дисплазии тазобедренного сустава у кошек. Свободные суставы, наблюдаемые у собак и людей, явно не связаны с заболеванием у кошачьих, равно как и вывих суставов.Дегенеративные изменения имеют тенденцию развиваться позже и менее выражены, чем у собаки. Изменения у кошек чаще всего проявляются в вертлужной впадине, впадине тазобедренного сустава, тогда как головка бедренной кости или шар тазобедренного сустава часто остаются относительно нетронутыми.
Диагностика дисплазии тазобедренного сустава у кошек
При осмотре бедра ветеринары должны выполнять отведение в дополнение к сгибанию, разгибанию и вращению. Кошки с дисплазией тазобедренного сустава и сопутствующим остеоартритом обычно негодуют на отведение бедра, иногда больше, чем на сгибание и разгибание.
Большинство кошек реагируют на безоперационное лечение комбинацией изменений окружающей среды, физиотерапии, медикаментозной терапии или потери веса. Если эти изменения не уменьшают боль кошки, есть два хирургических варианта: иссечение головки и шеи бедренной кости и полная замена бедра.


.jpg)




То же самое касается миски и лотка. Кроме того, следует убрать высокие препятствия, которые больному животному приходится преодолевать в прыжке.
Эту операцию имеет смысл проводить только в том случае, если котёнку ещё нет года.
Нам было жаль ограничивать для малышки свободу передвижения, но, понимая, что это ей во благо, сделали так, как врач советовал. Вскоре состояние нашей кисы улучшилось, теперь она чувствует себя намного лучше.
И действительно, дисплазия перестала развиваться. А вот от разведения, скорее всего, нам придётся отказаться: не хотим мы, чтобы потом дети нашего Жюста мучились, это ведь, нам, можно сказать, повезло, а если у кого-то из котят более серьёзная степень болезни окажется?
Ещё мы его на массаж и прогревания в клинику возили. А в первую очередь ветеринар сказал, что нужно Честера на диету сажать и посоветовал кормить его специальным кормом для кошек склонных к ожирению. Это помогло: вскоре состояние нашего пушистого увальня заметно улучшилось, так что, по всей видимости, операция нам и не потребуется.
Эти мышцы необходимы для нормального движения ложного сустава, который вскоре сформируется.