Дискоспондилит собак | Ветеринарная клиника доктора Шубина
Описание и причины
Дискоспондилит собак – инфекционное воспаление я межпозвоночного диска и прилегающих позвонков. Основные возбудители дискоспондилита собак – коагулазо-позитивные стафилококки (пр. Staphylococcus aureus, S. Pseudintermedius), но в инфекционном воспалении могут участвовать также и другие бактерии (пр. Streptococcus, Brucella) а также грибы (пр. Aspergillus terreus, A. deflectus). Высказано предположение, что у собак с дискоспондилитом в качестве предрасполагающего фактора выступает дефект иммунной системы. Следует помнить, что Brucella canis, хоть и является достаточно редкой причиной дискоспондилита собак, но обладает зоонозным потенциалом, и при подозрении на бруцеллез – следует проводить соответствующие тесты (культура крови, серологическое исследование).
Основной путь распространения инфекции при дискоспондилите собак – гематогенный, первичные очаги обнаруживаются редко, основную роль отводят инфекции мочевыводящих путей (предположительно).
Инфекционное воспаление при дискоспондилите может привести к пролиферации пораженных тканей, формированию микроабсцесссов и экзостозов, патологических переломов, протрузии диска, нарушению физиологической стабильности позвонков с последующим подвывихом, компрессии спинного мозга пораженными тканями.
Клинические признаки и диагноз
К формированию дискоспондилита предрасположены кобели больших и гигантских пород (особенно датский дог), среднего и пожилого возраста. Дискоспондилит описан у мелких пород собак а также кошек, но заболеваемость у них значительно ниже. У молодых немецких овчарок может быть предрасположенность к дискоспондилиту по причине аспергиллеза (предположительно дефект иммунной системы).
У большинства собак с дискоспондилитом, признаки поражения развиваются прогрессирующе на протяжение нескольких недель, у не большой части собак отмечается острое развитие заболевания.
Выраженность проявлений заболевания значительно варьирует, от слабо выраженной гиперестизии спины до парезов и параличей. У собак с пояснично-крестцовым дискоспондилитом зачастую отмечаются изменения походки. Другими признаками дискоспондилита могут служить такие проявления как снижение аппетита, снижение массы тела, общее угнетение, лихорадка и снижение подвижности.
При физикальном обследовании собак с дискоспондилитом, большинство собак проявляют признаки гиперестизии в зоне поражения (характерный признак). Степень выраженности неврологического дефицита зависит от локализации и тяжести процесса, у ряда собак неврологический дефицит не проявляется, у другой части собак вероятны признаки умеренной неврологической дисфункции (пр. проприоцептивный дефицит ± умеренный парез), у некоторых пациентов отмечаются признаки тяжелых парезов и параличей.
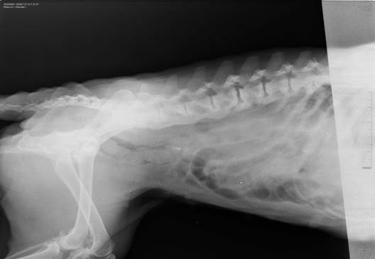
Диагноз дискоспондилита собак основывается на характерный рентгенологических изменениях совместно с подходящей историей болезни и данных обследования.
Радиографическое исследование при дискоспондилите выявляет коллапс межпозвоночного пространства в зоне поражения, лизис концевых пластинок позвонков и различные компоненты пролиферации и склероза концевых пластинок. Поражения при дискоспондилите собак могут быть как единичными так и множественными, чаще всего инфекционный процесс развивается в пояснично-крестцовом соединении (L7-S1), затем по частоте встречаемости поражений идут диски грудопоясничного отдела, и реже всего дискоспондилит развивается в шейных отделах позвоночника.
Радиографические изменения на начальных стадиях дискоспондилита обнаруживаются не всегда, они могут запаздывать на 2-4 недели. У пациентов с признаками дискоспондилита, но без характерных рентгенологических изменений – болезнь все же может присутствовать, в таких случаях, более ценным методом диагностики может служить компьютерная и магниторезонансная томография.
Анализы крови при дискоспондилите собак редко выявляют значимые отклонения, иногда может отмечаться лейкоцитоз.
Список дифференциальных диагнозов при дискоспондилите собак составляют такие патология как протрузия межпозвоночных дисков, новообразования позвоночного канала и деформирующий спондилез.
Лечение и прогнозы
В идеале, лечение дискоспондилита собак должно проводится на основании культурального исследования, но ввиду того что самым частым возбудителем являются стафилококки — допустимо проведение длительной (от 6-8 недель) антибактериальной терапии цефалоспоринами первого поколения и бетта-лактам-резистентными пенициллинами. У животных с выраженным неврологическим дефицитов — лечение дискоспондилита начинается с внутривенного введение антибиотика (через 6-8 часов) на протяжении 5-7 дней, и только затем переходят на другие пути введения. При отсутствии эффекта от данных антибиотиков, в схему лечения добавляют препараты эффективные против анаэробных бактерий.
Длительность антибактериальной терапии у собак с дискоспондилитом составляет несколько месяцев. Признаки обычно разрешаются на протяжении 2 недель, при тяжелом неврологическом дефиците — животное может полностью не восстановить двигательные функции. Радиографические изменения во время лечения идут позади клинического улучшения.
Кроме антибактериальной терапии, собаке с дискоспондилитом показано назначение наркотических и не наркотических анальгетиков. У животных с нестабильностью позвонков и компрессией спинного мозга — проводится хирургическая коррекция.
Прогнозы при бактериальном дискоспондилите собак чаще благоприятные, особенно у животных со слабо выраженным неврологическим дефицитом. У животных с резистентной микрофлорой и выраженным неврологическим дефицитом — прогнозы осторожные. При грибковых дискоспондилитах собак прогнозы ближе к неблагоприятным, на момент постановки диагноза возбудитель обычно уже диссеминирован по организму.
Валерий Шубин, ветеринарный врач, г.
Балаково
Спондилез у собак — симптомы и лечение спондилопатии у собак в Москве. Ветеринарная клиника «Зоостатус»
Симптомы
Диагностика
Лечение
Спондилёз (спондилопатия, деформирующий спондилёз) – инволюционный (в данном случае – связанный с возрастными изменениями в организме, старением) процесс постепенного изнашивания анатомических структур позвоночника.
Этот процесс сопровождается следующими изменениями:
- дистрофия волокон фиброзного кольца, что приводит к его выпячиванию под воздействием сохраненного давления ядра;
- оссификация (окостенение) вентральной продольной связки;
- образование остеофитов (костных выростов) вдоль оси позвоночника.
Спондилез проявляется в среднем в возрасте 6 лет и позже, однако у рабочих или спортивных животных изнашивание позвоночника может начаться и в более раннем возрасте.
Развитие патологии постепенное, медленное, клинические признаки обычно становятся заметны при средней степени тяжести заболевания, когда изменения уже необратимы.
Симптомы
- Снижение активности, изменение поведения – иногда эти симптомы можно заметить на ранней стадии, что позволит своевременно поставить диагноз.
- Уменьшение подвижности позвоночника – обычно начиная с поясничного отдела, сгорбленность.
- По мере развития патологии все ярче проявляется болезненность – при вставании или укладывании, собака может отказываться ходить по лестницам, не может прыгать. По мере усиления симптомов собака будет испытывать боль даже при медленной ходьбе.
Диагностика
Для диагностики спондилеза необходимо сделать рентгенограмму поясничного отдела позвоночника. Довольно часто спондилез определяется при рентгенографическом обследовании для выявления других патологий.
Лечение
Спондилез, как любые возрастные заболевания, неизлечим.
Для симптоматического лечения применяются препараты лидазы, оказывающие рассасывающее действие на остеофиты, и обезболивающие препараты. Также хороший результат оказывает немедикаментозное обезболивание – лазеротерапия. Рекомендуется максимально снизить вес животного и давать тщательно рассчитанные нагрузки. При тяжелых стадиях развития патологии возможно только оперативное лечение по удалению остеофитов, однако гарантии такие операции не дают.
Профилактика спондилеза заключается в сбалансированном кормлении и рациональных нагрузках на питомца. Особенно это касается рабочих и спортивных собак – их позвоночник очень сильно подвержен изнашиванию, однако при разработке качественной программы тренировок – у врача спортивной медицины, и использовании разноплановой нагрузки – в том числе в водной среде (бассейн, водная беговая дорожка) можно предотвратить или затормозить развитие спондилеза.
Также спондилёзом иногда называют анкилозирующий спондилит (он же спондилоартрит, или болезнь Бехтерева, полное название – болезнь Штрюмпелля-Бехтерева-Мари). Однако эта патология с другим генезисом, имеет выраженную породную предрасположенность – ею страдают боксеры и родственные породы, и может диагностироваться уже в возрасте 1,5 – 2 лет. Однако клинические проявления, диагностика и методы лечения действительно схожи.
Дископатия у собак: причины, симптомы, осложнения, терапия
Дископатия у собак считается часто возникающим нарушением, которому подвержены все породы. При отсутствии лечения у больной особи полностью теряется способность к передвижению, нарушаются функции других систем организма. Подробнее о болезни и её лечении читайте в нашей статье.
Дископатия у собак: симптомы и лечение
Общее описание дископатии у собак
Под данным нарушением понимается патологический процесс изменения строения в тканях межпозвонкового диска.
Из-за возникающих разрушений позвоночник утрачивает достаточную подвижность, становится не таким эластичным и не может выносить даже минимальные нагрузки.
Дископатия провоцируется у тех особей, которые страдают из-за недостаточно регулярных прогулок или постоянно находятся в изолированном помещении. У некоторых собак заболевание протекает в форме, при которой наблюдается полный паралич конечностей с полным или частичным потерей чувствительности.
Большую часть времени больная собака проводит лежа
Основная опасность болезни заключается в ее необратимости. Купировать начинающуюся проблему можно только на начальной стадии формирования дископатии. При этом диагностика не всегда производится своевременно, из-за частого бессимптомного протекания патологии на первых стадиях, а межпозвоночный диск уже частично разрушен.
После начала разрушения в несколько раз ухудшается обменный процесс в тканях, они не получают достаточного количества минералов и полезных веществ. Из-за постоянного дегенеративного процесса нарастает давление на спинной мозг, появляется отечность позвоночника и проблемы в работе других систем организма.
Видео — Дископатия у собак
Внимание! Чаще всего дископатия у собак, по имеющимся данным ветврачей Великобритании, диагностируется в возрасте от трех до восьми лет. Наибольший пик заболевших особей приходится на период пяти лет.
Развитие нарушения у собак
В нормальном состоянии межпозвоночные диски находятся между полостями всех позвонков. Они отвечают за амортизацию и гибкость позвоночника. При развитии у пса дископатии наблюдается смещение межпозвонковых дисков, за которым следует его частичное или полное разрушение. Нередко в области пораженного участка формируется грыжа или полный разрыв межпозвоночный мышечной ткани. Это происходит из-за высокой нагрузки на опорно-двигательную систему. Длительный дегенеративный процесс провоцирует выпячивание фиброзного кольца, находящегося внутри межпозвонкового диска.
Из-за этого нарушается работа всего спинного мозга. Подобный симптом развивается резко и сразу приводит практически к полной неспособности передвигаться.
Поврежденный межпозвонковый диск на рентгене
С учетом степени выраженности произошедших негативных изменений владелец домашнего любимца будет наблюдать различные симптомы и разную клиническую картину дископатии. Если спинной мозг поврежден сильно, но при этом не нарушены его функции, животное мучает сложно выносимый болевой синдром, питомец не может становиться на лапы.
У некоторых особей наступает полная или частичная парализация. Клиническая картина дископатии у собак может изменяться от нескольких часов до нескольких дней, при этом состояние животного постоянно ухудшается.
При параличе собаки следует сразу ехать в ветклинику
Поражать заболевание может шейную и грудопоясничную область. В первом случае любимец отказывается или не может нормально поворачивать шею, наблюдается дрожание шейных и плечевых мышц.
Диагностируется примерно в 10-15% случаев, при таком нарушении изнашивается межпозвоночный диск между 3 и 4 позвонками в шее. При втором типе заболевания патология затрагивает область в месте соединения последнего грудного и первого поясничного позвонка.
Внимание! Предрасположенные к дископатии породы собак – такса и пекинес. У такс подобное нарушение развивается у 65 особей из 100. Такая особенность связана с неестественными пропорциями тела, что вызывает высокую нагрузку на позвоночник и весь опорно-двигательный аппарат.
Четыре стадии разрушения межпозвонкового диска
Причины развития нарушения
Спровоцировать дископатию у собак могут несколько факторов:
- травмы, ушибы и переломы позвоночного столба;
- сильная нагрузка на позвоночник и весь опорно-двигательный аппарат;
- врожденные аномалии строения костной ткани;
- генетическая предрасположенность породы;
- воспалительные процессы в тканях позвоночника;
- иные дегенеративные процессы в суставах, в том числе артрозы и остеохондрозы;
- повышенная масса тела или ее недостаток;
- малая или чрезмерная подвижность.

Внимание! Если животное большую часть времени находится на цепи или в замкнутом пространстве, важно не допускать недостатка или повышения массы тела. В таком случае вероятность развития дископатии возрастает в несколько раз.
Специальное удерживающее устройство при параличе задних лап
Симптомы формирования дископатии
В начальной стадии формирования заметить какие-то изменения в поведении или движении животного достаточно сложно. Разрушение межпозвонкового пространства может развиваться в течение нескольких лет. В течение этого промежутка межпозвонковый диск почти полностью замещается патологической тканью, которая не может поддерживать нужную степень амортизации и подвижности позвоночника.
Крупные породы собак чаще сталкиваются с дископатией из-за травм
Только после этого у пса появляются типичные для дископатии проявления:
- питомец теряет свою активность, отказывается от игр;
- длительное передвижение приносит дискомфорт и боль;
- собаке сложно поднимать конечности, из-за чего практически невозможно с ним ходить по лестницам;
- при пальпации брюшной стенки отмечается ее повышенная напряженность;
- при случайных движениях особь может скулить или визжать;
- положение сидя доставляет большой дискомфорт, больной пес старается больше лежать в одной позе длительное время;
- походка становится неуверенной, пес часто делает перерывы;
- спина становится выгнутой, чтобы сохранить необходимое равновесие и снизить болезненность;
- во время положения стоя питомец начинает без причин поднимать одну из конечностей;
- настроение меняется на агрессивное, пес не дает себя трогать, может кусаться.

Замкнутое пространство для собаки — прямой путь к дископатии
При появлении подобной симптоматики владельцы-любители часто путают реальную проблему с усталостью особи и не обращаются за квалифицированной помощью. Нередко хозяин может самостоятельно назначить больной собаке обезболивающее, что только ухудшает состояние питомца, так как такая мера лишь временно снимает боль, но не воздействует на основную причину болезни.
С осложнением состояния собаке трудно контролировать свои движения, лапы становятся неуправляемыми, появляются проблемы с мочевыводящей функцией и опорожнением кишечника. Обычно такие симптомы проявляются при полном разрушении межпозвонкового диска. При таком положении остановить болезнь уже невозможно, грамотной терапией можно лишь улучшить качество жизни больного питомца.
Таксы больше всего подвержены нарушению
Диагностика дископатии у собак
Постановка правильного диагноза требует комплексного подхода, благодаря чему удастся опровергнуть или подтвердить наличие заболевания у животного.
Таблица. Диагностические методы при дископатии
| Диагностика | Особенности |
|---|---|
| Визуальный осмотр |
|
| Рентгеновские снимки в нескольких проекциях |
|
| Миелография |
|
| МРТ |
|
Внимание! В том случае, если животное поступает в лечебницу уже в обездвиженном состоянии, устанавливается точное время наступления парализации.
Если она случилась более 12 часов назад, восстановить двигательную активность питомца практически невозможно и чаще всего принимается решение об усыплении. Если владелец этого не хочет, врач пытается подобрать возможные варианты поддерживающего лечения, пока пес не погибнет естественной смертью.
Только ветеринар может выявить патологию
Медикаментозное лечение нарушения
Варианты лечения дископатии у собак зависят от степени запущенности патологии. Терапия может заключаться в использовании лекарственных препаратов, хирургического вмешательства и ряда дополнительных методик. При назначении медикаментов требуется использовать целый комплекс средств, которые купируют боль и иные негативные процессы в костной, межпозвоночной и суставной тканях.
«Дексаметазон»
Стероидный противовоспалительный препарат, основное воздействие которого направлено на устранение боли и воспаления. Для лечения используется раствор для внутримышечного введения. Собакам небольших пород рекомендуется вводить не более 0,3-0,5 мл медикамента, более крупным – не более 0,7-1 мл.
Вкалывают «Дексаметазон» ежедневно в течение индивидуально подобранного времени.
«Дексаметазон» в ампулах
«Габапентин»
Применяется для купирования острых болей, в том числе невропатического характера. Помимо устранения болевого синдрома, позволяет снять судорожные и конвульсивные состояния. Дозу «Габапентина» следует подбирать с врачом, так как на нее влияет возраст и вес питомца. Принимаются таблетки ежедневно один раз в сутки с едой. Длительность терапии – по показаниям.
«Терафлекс»
Относится к классу хондропротекторов. «Терафлекс» нормализует состояние суставной и костной ткани, снимает отечность, воспаление, запускает процессы регенерации. Средние и крупные породы собак принимают лечение по 1-2 таблетки в сутки длительным курсом до шести месяцев. Мелким породам, например, таксам и пекинесам, дозировку должен рассчитать врач. Продолжительность терапии для них также может составить полгода. Минимальный курс приема «Терафлекс» – 12 недель.
«Терафлекс»
Витамин В12
Необходим для улучшения клеточного обмена и нормализации проводимости тканей, улучшает мозговое кровообращение. При дископатии назначается в виде подкожных или внутримышечных инъекций индивидуально подобранный курс. Дозировка зависит от веса собаки. Особи до 5 кг за один раз получают 250 мкг, свыше пяти килограммов – 500 мкг, при весе более 15 кг – 1000 мкг. Витамин В12 не показывает побочных эффектов и хорошо переносится в комбинированном лечении дископатии.
«Афобазол»
Успокоительный и расслабляющий препарат, который устраняет агрессию и нормализует сон у больного пса. Дозу следует тщательно рассчитывать по весу питомца. Максимально крупные породы могут принимать до 30 мг активного вещества в три назначения. Мелкие породы и средние получают не более 5-20 мг суточной дозы медикамента, которую можно делить на несколько приемов. Максимальный курс терапии составляет 4 недели при тяжелых расстройствах. Для нормализации состояния собакам обычно достаточно 2 недель активного приема «Афобазола».
«Афобазол» в таблетках
«Диклофенак»
Нестероидный противовоспалительный препарат, отличается лучшей переносимостью и безопасностью в отличие от стероидов. Никогда не применяется в комплексе с ними, так как такая комбинация может спровоцировать разрыв кишечника и сильное кровотечение. «Диклофенак» при дископатии снимает боль, воспаление, скованность и отечность. Принимать лучше в форме инъекций, доза подбирается врачом. Обычно делается не более трех уколов. Применяют «Диклофенак» один раз в сутки независимо от пищи.
«Хондартрон»
Основное воздействие направлено на восстановление разрушенных тканей и остановку дальнейшего дегенеративного нарушения. При дископатии собаке рекомендуется вводить медикамент подкожно или внутримышечно, пероральный прием оказывает меньшее воздействие. Применять раствор утром и вечером. Доза классически подбирается с учетом веса особи и равна 0,1 мл/кг. Длительность лечения – строго по указаниям ветврача.
«Хондартрон» для инъекций
«Хондролон»
Очень хороший хондропротектор, но может применяться только на крупных породах собак.
Оказывает быстрый эффект уже через несколько уколов. Вводистя внутримышечно, при введении собаку лучше держать, так как уколы болезненны. Доза активного вещества составляет 100 мг каждые 48 часов. Применяется на собаках только от 30 кг веса. Курс состоит из 25-30 уколов.
Подкожные и внутримышечные уколы собаке
«Диазепам»
Получил широкое распространение в ветеринарии, благодаря возможности купировать острые судороги и способности расслаблять мышцы при дископатии. Вводиться «Диазепам» может внутривенно и внутримышечно, особой роли в этом случае способ введения не играет. При внутривенном вливании дозировка составляет 0,10-0,5 мг/кг, при внутримышечном — 0,3-0,5 мг/кг. Используют один раз за 24 часа. При необходимости доза увеличивается или уменьшается с учетом переносимости.
«Диазепам»
Дополнительные методы лечения дископатии
При использовании лекарственных средств ветеринары настаивают на необходимости дополнительного лечения, которое усилит выздоровление и снизит вероятность проведения хирургического вмешательства.
Для этого применяется несколько методик.
- Иглоукалывание. Проводится только специалистом. Врач расставляет иглы в особом порядке, благодаря чему расслабляются мышцы, уходит боль, снижается отечность и повышается чувствительность.
- Массаж. Первые сеансы также рекомендуется провести у хорошего массажиста, так как важно научиться выполнению правильной техники. Массаж усиливает ток лимфы и крови, не дает развиваться застойным процессам, снимает усталость и боль. Помимо этого, нормализуется питание всех тканей, в том числе и головного мозга.
- Электрофорез. Проводится при помощи небольших проводников, которые прикладывают к больному участку. При помощи микротока удается улучшить проводимость тканей, снять отечность, скованность и болезненность.
- Магнитотерапия. Также выполняется при помощи небольших проводников, но уже имеющих магнитную основу. Основное воздействие направлено на подавление воспалительного процесса и ускорение восстановления тканей.
- Физическая активность.
Обычно для больных дископатией собак назначается плавание. Также выполняются легкие и непродолжительные упражнения по сгибанию и разгибанию конечностей.
Видео — Массаж при проблемах с позвоночником у собак
Проверка рефлексов у собак
Хирургическое лечение дископатии
При отсутствии эффекта от медикаментов и вспомогательных неинвазивных методов, а также при тяжелом состоянии больной собаки врач принимает решение о срочном оперативном вмешательстве. Оно заключается в устранении деформированного участка.
- Вначале хирург полностью или частично удаляет душку на больном позвонке, чтобы получить обзор спинного мозга.
- После вскрытия полностью удаляется ядро межпозвонкового пространства.
- Только после этого этапа можно вскрыть твердую полость в спинном мозге.

- С учетом открывшегося состояния пораженного участка врач принимает решение, насколько реально помочь конкретной особи. Для этого хирург просматривает степень выраженности разрушения нервных волокон.
- Чтобы снизить возникшее из-за деформации межпозвонкового диска давление, при помощи специальной иглы удаляется скопившееся в диске вещество.
- Затем при помощи гемостатической губки закрывается вскрытая твердая полость в спинном мозге. Иногда для этого применяют медицинский сальник. Такая прокладка необходима для предотвращения образования спаек с прилегающим мышечным корсетом.
- После закрытия разреза его полностью ушивают. Накладывается плотная стерильная повязка.
Подобные вмешательства выполняются только в том случае, если с момента парализации и потери чувствительности конечностей не прошло более двух суток. Независимо от успешности проведенной операции собака все равно останется неподвижной или погибнет.
Внимание! После успешной операции псу в обязательном порядке назначается курс реабилитации.
Он включается в себя массаж, прием противовоспалительных средств, хондропротекторов и физиолечение.
Иногда спасти собаку может только операция
Возможные осложнения заболевания
При развитии дископатии у собак при отсутствии должного лечения могут развиваться тяжелые дегенеративные процессы во всех системах организма:
- произвольное мочеиспускание и процесс дефекации;
- частичная или полная парализация передних и задних конечностей;
- нарушения в работе мозга, судороги;
- нарушение мозгового кровообращения;
- при сохранении функции мочеиспускания и дефекации эти процессы отличаются сильной болезненностью;
- агрессия, вплоть до нападения на владельцев, пытающихся погладить животное;
- при сильном сдавливании спинного мозга возможна остановки функции дыхания.
Только комплексное лечение может поставить собаку на ноги
Профилактика дископатии у псов
Профилактические методы необходимо использовать не только у здоровых особей, но и тех, что прошли успешный курс терапии.
Особенно важно придерживаться рекомендаций ветеринаров по недопущению дископатии тем владельцам, которые содержат пекинесов и такс.
- Регулярно водите своего питомца на прогулку, но при этом не допускайте большой нагрузки на его позвоночник.
- Приучите пса к плаванию, так как такая физическая активность значительно укрепляет мышечный корсет.
- Соблюдайте принципы питания особи с учетом ее породы и возраста, не допуская сильного падения или повышения массы тела.
- Периодически давайте собаке витаминные комплексы и препараты класса хондропротекторов для усиления суставной и костной ткани.
- Не допускайте травмирования позвоночника и всего опорно-двигательного аппарата. В случае травм пса не занимайтесь самолечением и сразу обращайтесь за консультацией к ветеринару.
Профилактический осмотр у врача снизит риск осложнений при дископатии
Прогноз жизни собак с дископатией
Специалисты при своевременном выявлении нарушения дают хорошие шансы на выздоровление пса.
На ранних стадиях можно обойтись только медикаментозным и неинвазивным лечением, которое ставит на ноги примерно 65-70% всех заболевших собак. При проведении оперативного вмешательства прогнозы на выздоровление осторожны и зависят от многих факторов, включая возраст, вес, степень запущенности заболевания.
Внимание! Собаки, склонные к появлению дископатии, должны каждые несколько месяцев проходить профилактические осмотры у ветеринара для раннего выявления возможных нарушений.
Дископатия у собак – серьезное нарушение, которое нельзя оставлять без внимания. Лечить патологию самостоятельно невозможно, так как она требует использования целого комплекса лекарственных средств и их грамотного сочетания друг с другом. При раннем выявлении болезнь удается купировать и максимально долго продлить жизнь питомца.
Дискоспондилит • MSPCA-Angell
- Связаться с нами
$ Пожертвовать Ветеринарные услуги
Сообщить о жестокости
Защита животных
Принять
- Ветеринарные службы
- Службы
- Бостонские службы
- Круглосуточная неотложная и неотложная помощь
- Анестезиология
- Птичья и экзотическая медицина в Бостоне
- Поведение
- Медицинское обслуживание
- Кардиология
- Диагностика Визуализация
- Консультации по поводу горя
- I-131 Терапия
- Внутренняя медицина
- Неврология
- Ядерная медицина
- Онкология
- Офтальмология
- Патология
- Физическая реабилитация
- Услуги первичной медико-санитарной помощи 4
4
- 24/7 Неотложная и неотложная помощь в Уолтеме
- Птичья и экзотическая медицина в Уолтеме
- Поведение
- Кардиология
- Диагностическая визуализация
- Дерматология в Уолтеме
- Внутренняя медицина
- Неврология
- Физическая Реабилитация
- Хирургия в Уолтеме
- Бостонские службы
- Энджелл в Нашоба Сервисез
- Ветеринарная клиника для владельцев домашних животных с низким доходом
- Энджелл в Эссексе
- Неотложная и неотложная помощь круглосуточно
- Службы
- Часы работы и направления
- CE и информация для выпускников
- Отчет о жестокости
- Защита животных
- Adopt
- Центры усыновления
- Boston
- Nevins Farm
- Cape Cod
- Программы и ресурсы
- 900 Как помочь
- Как помочь
- АДВОКАТ ДЛЯ ЖИВОТНЫХ
- СВЯЗАТЬСЯ С США
- ВОЛОНТЕР
- НАЧАТЬ ФИНАНСИРОВАНИЕ
- ПРЕДСТОЯЩИЕ СБОРНИКИ
- Сообщить о жестокости
- ЧТО ТАКОЕ ЖЕСТКОСТЬ ЖИВОТНЫХ
- ЧЕЛОВЕЧЕСКОЕ ОБРАЗОВАНИЕ
- ОТЧЕТ О ЖЕСТКОСТИ ЖИВОТНЫХ
- Поиск
Дискоспондилит у собак | Vetlexicon Canis от Vetstream
Canis ISSN: 2398-2942
Автор (и): Пол Каддон, Лоран Гарози, Гарри Скотт
Введение
- Причины : бактериальная или грибковая инфекция межпозвонкового диска с распространением на концевые пластинки и позвонки позвонков может быть перенесена с кровью или локализованным инородным телом.

- В основном у взрослых собак крупных пород.
- Знаки : относятся к задействованным дискам, чаще всего C6 / C7, T5 / T6, T13 / L1, L7 / S1; часто системно болеет, в отличие от остеохондроза.
- Диагноз : рентгенография, расширенная визуализация, посев мочи и крови.
- Лечение : антибиотики, покой, обезболивание.
- Прогноз : хороший при соответствующем лечении.
Патогенез
Этиология
- Миграция инородных тел.
- Связано с инфекцией прилежащих тканей.
- Ятрогенная травма (хирургия позвоночника, фенестрация диска или эпидуральная инъекция).
- Иммуносупрессия может играть роль в развитии инфекции.
- Гематогенное распространение инфекции из других частей тела, например, S. Intermedius .
- Наиболее частой причиной является бактериальная инфекция, вызванная коагулазоположительными стафилококками ( S.
aureus, Staphylococcus aureus или S. intermediateus, Staphylococcus intermediateus), которые являются наиболее частым изолятом. - Другие часто идентифицируемые бактерии включают Streptococcus Streptococcus spp, Escherichia coli, Escherichia coli и Brucella canis . Сообщалось также о
- грибковых инфекциях, при культивировании видов Aspergillus , Paecilomyces , Pencillium и Fusarium , а также Coccidioides immitis .
Предрасполагающие факторы
Общие положенияПатофизиология
- Чаще всего возникает в результате гематогенного распространения микроорганизмов в пространство межпозвонкового диска.
- Первичным источником может быть заболевание мочеполовых путей, кожи или зубов, а также клапанный эндокардит.
- Инфекция, например, S. intermediateus из другого места (обычно мочевыводящие пути) → инфекция диска и замыкательной пластинки → межпозвонковое тело → вовлекает локальные мозговые оболочки → воспаление → отек мягких тканей → позвоночная нестабильность → давление на канал → боль → клинические признаки.

- Дискоспондилит редко вызывает вторичный менингит.
- Травяная ость проникает через кожу → пищевое проникновение → миграция из краниальной области в срединно-поясничную область через мезентарию.Имеет тенденцию влиять на дисковое пространство L2-L4.
- Экстрадуральная компрессия спинного мозга может возникать в результате разрастания воспалительной ткани, эпидуральной эмпиемы или вторичного протрузии диска.
- Обширное воспаление также может привести к менингиту. Менингит и менингомиелит.
Timecourse
- Обычно хронический и прогрессирующий.
- Иногда острое ухудшение состояния с вторичным патологическим переломом позвонка или протрузией диска.
Диагностика
Эта статья полностью доступна зарегистрированным подписчикам.
Зарегистрируйтесь сейчас, чтобы приобрести 30-дневную пробную версию, или Логин
Лечение
Эта статья полностью доступна зарегистрированным подписчикам.
Зарегистрируйтесь сейчас, чтобы приобрести 30-дневную пробную версию, или Логин
Профилактика
Эта статья полностью доступна зарегистрированным подписчикам.
Зарегистрируйтесь сейчас, чтобы приобрести 30-дневную пробную версию, или Логин
Результаты
Эта статья полностью доступна зарегистрированным подписчикам.
Зарегистрируйтесь сейчас, чтобы приобрести 30-дневную пробную версию, или Логин
Дополнительная литература
Публикации
Реферируемые статьи
- Последние отзывы из PubMed и VetMedResource.
- Schwartz M, Boettcher I.C, Kramer S et al (2009) Две собаки с ятрогенным дискоспондилитом, вызванным метициллин-резистентным Staphylococcus aureus. JSAP 50 , 201-205 PubMed.

- Burkert B A, Kerwin S C, Hosgood G L (2005) Сигналы и клинические особенности дискоспондилита у собак: 513 случаев (1980-2001). JAVMA 227 (2), 268-275 PubMed.
- Kinzel S, Koch J, Buecker A et al (2005) Лечение 10 собак с дискоспондилитом с помощью чрескожной дискэктомии под рентгеноскопическим контролем. Vet Rec 156 (3), 78-81 PubMed.
- Adamo P F, Cherubini G B (2001) Дискоспондилит, связанный с тремя незарегистрированными бактериями у собаки. JSAP 42 , 352-355 PubMed.
- Auger J, Dupuis J, Quesnel A et al (2000) Хирургическое лечение пояснично-крестцовой нестабильности, вызванной дискоспондилитом, у четырех собак. Vet Surg 29 , 70-80 PubMed.
- Davis M J et al (2000) Результаты контрастной рентгенографии при бактериальном дискоспондилите собак — многоцентровое ретроспективное исследование 27 случаев.
JAAHA 36 (1), 81-5 PubMed.
- Гонзело-Орден Дж. М., Альтонага Дж. Р., Орден М. А. и Гонсало Дж. М. (2000) Магнитно-резонансные, компьютерные томографические и радиологические данные у собаки с дискоспондилитом. Vet Rad Ultra 41 (2), 142-144 PubMed.
- Thomas W B (2000) Дискоспондилит и другие вертебральные инфекции. Ветеринарная клиника North Am Small Anim Pract 30 , 169-182 PubMed.
- Симс Дж. А., Яковлиевич С., Адамс Л. Г., Мунджар Т. А. и ДеНикола Д. Б. (1999) Дискоспондилит в сочетании с внутрибрюшным абсцессом у собаки. JSAP 40 (3), 123-126 PubMed.
- Kraft S L et al (1998) Магнитно-резонансная томография предполагаемого пояснично-крестцового дискоспондилита у собак. Vet Radiol Ultrasound 39 (1), 9-13 PubMed.

- Jaffe M H (1997) Дискоспондилит собак. Comp Cont Educ 19 (5), 551-555 VetMedResource.
- Remedios A M et al (1996) Эпидуральный абсцесс и дискоспондилит у собаки после введения эпидурального анальгетика для пояснично-крестцовой области. Can Vet J 37 (2), 106-107 PubMed.
- Seim H B III (1996) Состояние грудопоясничного отдела позвоночника. Semin Vet Med Surg (Small Anim) 11 (4), 235-253 PubMed.
- Баттерворт С. Дж. и др. (1995) Множественный дискоспондилит, связанный с инфекцией видов Aspergillus у собак. Vet Rec 136 (2), 38-41 PubMed.
- Kerwin S C (1992) Дискоспондилит, связанный с инфекцией Brucella canis у собак — 14 случаев (1980–1991). JAVMA 201 (8), 1253-1257 PubMed.

- Мур М.П. (1992) Дискоспондилит. Vet Clin North Am Small Anim Pract 22 (4) 1027-1034 SciDirect.
- Bennett D et al (1981) Дискоспондилит у собак. JSAP 22 (8) 539-547 PubMed.
- van Bree H et al (1981) Успешное консервативное лечение шейного диска оспондилит у собаки. JSAP 22 (2) 59-65 PubMed.
- Johnston D.E. (1971) Остеомиелит поясничных позвонков у собак, вызванный телами семян травы. Aus Vet J 47 (7), 289-294 PubMed.
Другие источники информации
- Oliver & Lorenz Справочник по ветеринарной неврологической диагностике . Филадельфия: В. Б. Сондерс, стр 171.
- Ветеринарный год Мерк . (1998) 8 , pp 923-924.
- Thomas W B (1997) Дискоспондилит.
5-минутная ветеринарная консультация — собаки и кошки. , с. 524-525. - Оливер, Лоренц и Корнегай (1997) Справочник по ветеринарной неврологии .3-е изд. С. 155-156.
Дискоспондилит у собак… Что это? И сколько это будет стоить исправить?
Дискоспондилит — это, по сути, спондилит у собак, то есть заболевание спинного мозга, затрагивающее почти каждый момент жизни собаки. К счастью, это поддается лечению, но полезно узнать все, что вам нужно знать о дискоспондилите, чтобы вы могли помочь своей собаке как можно скорее.
Что такое дискоспондилит?
Для начала, это слово имеет два написания: дискоспондилит или дискоспондилит, но, конечно, они означают одно и то же.По сути, мягкий губчатый материал между позвонками или сам позвонок набухает из-за инфекции, из-за чего спина собаки изгибается неестественным образом.
Клинические признаки дискоспондилита
Если у вашей собаки проблема со спинным мозгом, которая, как вы подозреваете, может быть дискоспондилитом, вот некоторые из симптомов, которые вы можете увидеть у своей собаки:
- Общая боль в спине.

- Слабость или нежелание ходить.
- Сгорбленная или изогнутая спина,
- Скованность в шее; не реагировать слишком быстро на движения периферическим зрением — это один из способов сказать.
- Несогласованные движения.
- Дрожь или тремор.
Существует множество вариаций симптомов, но поскольку спина влияет на большинство движений, любые изменения в том, как ваша собака ходит, поднимается или движется, могут быть связаны с этой проблемой.
Как ваша собака заболевает спондилитом?
Это может произойти двумя способами: бактериями или грибками.
Бактериальная инфекция может быть вызвана несколькими типами бактерий, например:
- Brucella canis,
- Proteus spp,
- Streptococcus spp,
- и т. Д.…
Грибковая инфекция спинного мозга может быть вызвана этими тремя типами грибов:
- Scedosporium apiospermum,
- Paecilomyces variotii,
- Aspergillus terreus,
Но в каких дозах ваша собака подвергается воздействию любых из этих бактерий и грибков, которые проникают в позвоночный столб?
Это может произойти в результате заражения ран или послеоперационной инфекции.
Это также может произойти в результате инфекции мочевыводящих путей. Есть несколько пород, у которых больше шансов заболеть спондилитом, а именно:
Кроме этого, у этого заболевания обычно нет генетического компонента.
Диагностика дискоспондилита у собак
Если вы подозреваете, что у вашей собаки дискоспондилит, то единственный, кто действительно может поставить диагноз, — это ветеринар. Обычно ему или ей придется исключить несколько других возможных условий, например:
- Болезнь межпозвоночного диска: это также называется грыжей межпозвоночного диска грудопоясничного отдела позвоночника
- И боль в спине без неврологических признаков могла быть из-за этого.
Тесты для диагностики
Для точной диагностики дискоспондилита у собак ветеринар, вероятно, будет использовать:
- Посев крови и анализы.
- Рентген.
- Анализ спинномозговой жидкости.
- Магнитно-резонансная томография (МРТ) — в дисковое пространство может вводиться контраст, чтобы ветеринар мог лучше видеть.

- Биопсия кости
Ваш ветеринар также проведет неврологическое обследование собаки на предмет наличия у нее неврологических нарушений.
Во время диагностики ветеринар, скорее всего, скажет вам, какие позвонки или межпозвонковое пространство инфицированы. Например, он или она может сказать вам, что это связано с одной или несколькими концевыми пластинами.
План лечения
То, как ваш ветеринар лечит дискоспондилит вашей собаки, будет зависеть от причины дискоспондилита вашей собаки. Если это бактериальная инфекция, ваша собака, скорее всего, получит антибиотики. Для полного выздоровления вашей собаки обычно требуется несколько недель.
Однако с грибковой инфекцией можно бороться с помощью противогрибковых препаратов. Пока ваша собака выздоравливает, ветеринар может дать ей противовоспалительное лекарство, чтобы облегчить боль в спине и другой дискомфорт. В случае глубоких ран или поражений около позвоночника может потребоваться операция.
Во время восстановления важно:
- Дайте собаке как можно больше отдыхать, чтобы спина не подвергалась дополнительной нагрузке.
- Кормите вашу собаку здоровой диетой в соответствии с рекомендациями ветеринара.
- Проверьте раны на наличие проблем.
Стоимость лечения дискоспондилита
Стоимость зависит от серьезности. Если ваша собака в очень плохом состоянии и нуждается в операции, это будет несколько тысяч долларов. Даже если ему понадобится биопсия кости, это может стоить сотни долларов только для диагностики. В общем, диагностика и лечение могут стоить 300-5000 долларов!
Но помните:
Мы в IndulgeYourPet не врачи, ветеринары или медицинские работники.Все мы — кучка людей, которые очень увлечены животными и хотят для них только самого лучшего.
Поэтому…
Помимо того, что мы всегда рекомендуем людям брать своих питомцев к ветеринару каждый раз, когда они чувствуют, что с ними что-то не так, мы в IndulgeYourPet также БОЛЬШИЕ поклонники определенных полисов страхования домашних животных.
Сюда…
Если ваш питомец заболеет или получит травму и ему потребуется помощь ветеринара, вы окажетесь на «крючке» за 100% потенциально дорогостоящего ухода, который ему понадобится.
Будет ли полис страхования домашних животных «подходящим» для всех?
Нет, наверное, не будет. Но до тех пор, пока вы не узнаете, что эти полисы будут и что не будут охватывать, и пока вы не узнаете, сколько они на самом деле стоят, как вы когда-нибудь узнаете, подходит ли он вам?
Для получения дополнительной информации о том, кто, по нашему мнению, в настоящее время предлагает «лучшие» полисы страхования домашних животных в отрасли, мы рекомендуем вам ознакомиться с нашей статьей о лучших страховых компаниях для домашних животных.
Дискоспондилит | Ветеринарно-хирургические центры
Что такое дискоспондилит?
Дискоспондилит — это инфекция межпозвонкового диска.Это может произойти в результате распространения инфекции из других частей тела (например, из мочевыводящих путей, кровотока, простаты) или в результате локальной инфекции только в дисковом пространстве.
Чаще всего это вызвано бактериальной инфекцией; Однако может возникнуть грибковый дискоспондилит. Чаще всего встречается у кобелей крупных пород молодого и среднего возраста, таких как немецкие овчарки и ротвейлеры. Собаки, которые не были стерилизованы и у которых развивается инфекция простаты, предрасположены к дискоспондилиту. Дискоспондилит также чаще встречается у животных с подавленным иммунитетом.
Каковы клинические признаки дискоспондилита?
Наиболее частыми клиническими признаками являются боль в спине или шее, нежелание ходить и снижение аппетита. Некоторые собаки могут кричать, вставая или опускаясь, или не хотят бегать или прыгать. Локализация боли зависит от локализации инфекции. Дискоспондилит чаще всего возникает в нижней части спины, но может возникать в любом месте позвоночника и часто возникает в нескольких местах. Если инфекция тяжелая или не диагностируется, кость может стать очень слабой и склонной к переломам.В некоторых случаях инфекция может распространяться и на спинной мозг.
В случае перелома или инфицирования спинного мозга животное может парализовать.
Как диагностируется?
Рентгеновские снимки спинного мозга часто показывают признаки инфекции в межпозвоночном пространстве, но МРТ и / или компьютерная томография предпочтительнее для лучшей визуализации костей и спинного мозга и часто необходимы в ранних случаях дискоспондилита, когда рентгеновские снимки не показывают драматических изменений. изменение. В тех случаях, когда это безопасно, в пространство межпозвоночного диска можно ввести иглу, чтобы попытаться аспирировать и культивировать инфекционный организм.Поскольку у некоторых собак с дискоспондилитом моча и кровь могут содержать инфекцию, их также культивируют.
Как лечится?
Применяется соответствующее лечение антибиотиками или противогрибковыми препаратами в зависимости от типа инфекционного организма, выращенного через межпозвонковый диск, мочу или посев крови. Во многих случаях инфекционный организм не идентифицируется, и начинается лечение антибиотиком, убивающим наиболее распространенный тип бактерий (стафилококк).
Лечение дискоспондилита продолжается минимум четыре-шесть месяцев с регулярными повторными неврологическими обследованиями и рентгенограммами.Когда животное прошло безболезненно и рентген показывает полное исчезновение инфекции, лечение можно прекратить.
Каков прогноз?
При своевременном и надлежащем лечении прогноз для собак с бактериальным дискоспондилитом благоприятный. Грибковый дискоспондилит имеет гораздо худший прогноз. У некоторых собак может произойти рецидив инфекции через несколько месяцев или лет после лечения.
Потеря кишечного белка у собак
Вторник, 24 ноября 2020 г.- Архив
- Около
- Сообщить о проблеме
- Объявить
- Написать для PetSci
- Статьи по животным
- Собаки — Щелкните здесь, чтобы увидеть все наши статьи о собаках
- Кошки — Щелкните здесь, чтобы увидеть все наши статьи о кошках
- Лошади — Щелкните здесь, чтобы увидеть все наши статьи о лошадях
- Закрыть
- Статьи по категориям
- Поведение — Статьи о поведении животных
- Health Care — Статьи о здоровье животных
- Home Care — Статьи о животных в домашней среде
- Pet Products — Статьи и обзоры о популярных продуктах для домашних животных
- Pet Safety — Статьи о безопасности ваших домашних животных
- Nutrition — Статьи о питании для животных
- Close
- Tools
Diet & Nutrition
- Canine Calorie Калькулятор — сколько калорий нужно вашей собаке?
- Калькулятор калорий для кошек — сколько калорий нужно кошке?
- Калькулятор калорийности — Сколько калорий в корме вашего питомца?
- Рассчитайте ИМТ вашей собаки — Узнайте, есть ли у вашей собаки лишний вес
- Калькулятор токсичности шоколада — Сколько шоколада токсично для вашей собаки?
Здоровье и поведение
- Калькулятор беременности у собак — Калькулятор и календарь беременности для вашей собаки
- Анкета CCD — Страдает ли ваша собака деменцией у собак?
- Калькулятор стресса у собаки — испытывает ли ваша собака стресс?
- Калькулятор стресса кошки — испытывает ли ваша кошка стресс?
Fun
- Анкета личности собаки — узнайте больше о чертах характера вашей собаки
- Генератор имен домашних животных — идеи имен для вашей новой собаки или кошки
- Закрыть
- Руководства
- Руководство по оценке состояния тела у собак — рассчитайте оценку состояния тела вашей собаки — простой и точный способ определить, имеет ли ваша собака здоровый вес.

- Основные проблемы со здоровьем собак — 10 наиболее распространенных проблем со здоровьем собак, от которых страдают собаки всех возрастов. См. Это руководство для получения дополнительных советов по каждой проблеме со здоровьем.
- Создайте свой блог о домашних животных — прочтите наше простое, но подробное руководство о том, как начать собственный блог о домашних животных, с советами и рекомендациями на всех этапах пути.
- Руководство по оценке состояния тела у собак — рассчитайте оценку состояния тела вашей собаки — простой и точный способ определить, имеет ли ваша собака здоровый вес.
НА ЭТОЙ СТРАНИЦЕ: Какие они? Почему они важны Частота Причины Классификация Симптомы Диагноз Проблемы с диагностикой Лечебные процедуры Прогноз
ДОМ Обзор сайта Только что поставили диагноз? Что тебе нужно знать Первый Поиск по сайту ЧТО ТАКОЕ ХБП? Что происходит в CKD Причины CKD Насколько плохо? Есть ли Надежда? Острая почка Травма КЛЮЧЕВЫЕ ВОПРОСЫ: ПРОДОЛЖИТЕЛЬНАЯ ЖИЗНЬ Контроль фосфора Гипертония (Высоко Артериальное давление) Протеинурия Анемия Калий дисбаланс Пиелонефрит (Инфекции почек) и инфекции мочевыводящих путей НОВЫЙ Метаболический ацидоз Камни в почках КЛЮЧЕВЫЕ ВОПРОСЫ: ПОМОЩЬ ВАШИМ Кошка чувствует себя лучше Тошнота, рвота, Потеря аппетита и избыток желудочной кислоты Поддержание гидратации Витамины группы В (в том числе Метилкобаламин) Запор ДАННЫЕ КОРМА ДЛЯ КОШКИ Способы оценки пищевой ценности, в том числе Что такое сухой Анализ материи Как использовать таблицы данных о пищевых продуктах США Данные о консервированных продуктах США Данные о сухих кормах США Бренды кормов для кошек: Рейтинг полезности США Бренды кормов для кошек: Контактная информация США Книга данных по продуктам питания ОПОРА Как справиться с CKD Группа поддержки Тани Истории успеха СИМПТОМЫ Важно: сбой Алфавитный список симптомов и методов лечения Жидкость дисбаланс мочи (обезвоживание, гипергидратация и Выпуски) Дисбаланс регулирования отходов (рвота, потеря аппетита, Желудочная кислота, желудочно-кишечные проблемы, язвы во рту и т. Д.) Дисбаланс фосфора и кальция Разные симптомы (Боль, прятки и т. Д.) ДИАГНОСТИКА: ЧТО ОЗНАЧАЮТ ВСЕ РЕЗУЛЬТАТЫ ИСПЫТАНИЙ? Раннее обнаружение Химический анализ крови: функция почек, калий, другие анализы (АЛТ, амилаза, (холестерин и т. Д.)) Кальций, фосфор, паратироидный гормон (ПТГ) и вторичный Гиперпаратиреоз Полный анализ крови (CBC): Красные и белые кровяные тельца: анемия и инфекция Общий анализ мочи ,00Другие анализы: УЗИ, биопсия, рентген и т. Д. Реномегалия (увеличенные почки) Который Тесты, которые необходимо пройти, и частота тестирования Факторы, влияющие на результаты тестов Нормальные диапазоны Международные и американские измерительные системы ПРОЦЕДУРЫ Какие процедуры необходимы Проблемы с жидкостями и мочеиспусканием (задержка жидкости, инфекции, недержание мочи, Протеинурия) Положение об отходах (Язвы во рту, кровотечение из желудочно-кишечного тракта, Антиоксиданты, Адсорбенты, Азодил, Astro’s CRF Oil) Фосфор, кальций и Вторичный гиперпаратиреоз (кальцитриол) ,00Связующие фосфорные Стероиды, Трансплантация стволовых клеток и пересадка почек Антибиотики и обезболивающие Комплексные процедуры (включая кору скользкого вяза) ESAs (Аранесп, Эпоген и др.) при тяжелой анемии Общие проблемы со здоровьем у кошек с ХЗП: блохи, артрит, деменция, Прививки Советы по Лекарство для кошки Получение расходных материалов по низким ценам в Великобритании, США и Канаде Работа с вашим ветеринаром и делопроизводство ДИЕТА И ПИТАНИЕ Требования к питанию кошек с ХБП Витамины группы В (в том числе Метилкобаламин) Чем кормить (и чего избегать) Уговорить кошку поесть 2007 год: отзыв о продуктах питания, США, ЖИДКОСТЬ Пероральные жидкости Внутривенные жидкости Подкожные жидкости Советы по даянию Подкожные жидкости Как для введения подкожной жидкости с помощью набора для подачи Как вводить подкожную жидкость с помощью шприца Подкожные жидкости — получение поддержки вашего ветеринара Диализ СВЯЗАННЫЕ ЗАБОЛЕВАНИЯ Проблемы с сердцем Гипертиреоз Диабет Поликистоз почек (PKD) Панкреатит Стоматологические проблемы Анестезия ПОЛУЧЕНИЕ ЗАПАСОВ UK США Онлайн США Местное (жидкости) Канада ПРОСИТЬ В Последние часы Чужие потери Как справиться с потерей РАЗНОЕ Профилактика Исследования ХБП кошек, включая Возможности участия Исследование ХБП у других видов Поделиться этим сайтом: A Уведомление для доски объявлений вашего ветеринара или местного зоомагазина Собачья почка Болезнь Другие болезни (рак, печень) и Поведенческие проблемы Diese Webseite auf Deutsch ВЛАДЕЛЬЦА (HELEN) Мой Три кошки с ХБП: Таня, Томас и Олли найти Я в Facebook Следуй за мной на Twitter Свяжитесь со мной | Главная> Ключевые проблемы > Пиелонефрит и Инфекции мочевыводящих путей Обзор
Что такое пиелонефрит и инфекции мочевыводящих путей? Большинство людей слышали или испытали инфекцию мочевыводящих путей, но может быть не совсем понятно, где именно это происходит. Мочевой урочище состоит из:
Мочевой пузырь и уретрой считается нижний мочевой тракт . Почки и Мочеточники считаются верхними мочевыми путями . Выражение «Инфекция мочевыводящих путей» или «ИМП» обычно (но не всегда) используется для относятся к инфекциям нижних мочевыводящих путей. Воспаление в верхние мочевыводящие пути, особенно при бактериальных инфекциях в самих почках часто называют пиелонефритом или почечной инфекцией. Кошки очень склонны к воспалительным заболеваниям, широко известным как FLUTD (Кошачий Заболевание нижних мочевыводящих путей или идиопатический цистит кошек), которые могут иметь множество причин. FLUTD не обычно вызвано бактериальная инфекция (к которой относится эта страница), и, следовательно, кошки с FLUTD обычно не получают пользы от антибактериальной терапии. Важность Чрезвычайно важно лечить инфекции мочевыводящих путей, поскольку они могут ускоряют прогрессирование ХБП, и кошка может чувствовать себя очень неудобно или просто плохо. В некоторых случаях эти инфекции могут даже вызвать ХБП. Бактериальные инфекции мочевыводящих путей (2016) Доулинг PM Merck В Ветеринарном руководстве № говорится: «Последствия невылеченной ИМП включают: дисфункция нижних мочевыводящих путей, мочекаменная болезнь, простатит, бесплодие, сепсис и пиелонефрит с рубцеванием и возможной почечной недостаточностью ». Частота Мочевыводящие пути Инфекции относительно распространены у кошек с ХБП. Iconic One Theme | Powered by Wordpress
|
Если она случилась более 12 часов назад, восстановить двигательную активность питомца практически невозможно и чаще всего принимается решение об усыплении. Если владелец этого не хочет, врач пытается подобрать возможные варианты поддерживающего лечения, пока пес не погибнет естественной смертью.
Он включается в себя массаж, прием противовоспалительных средств, хондропротекторов и физиолечение.